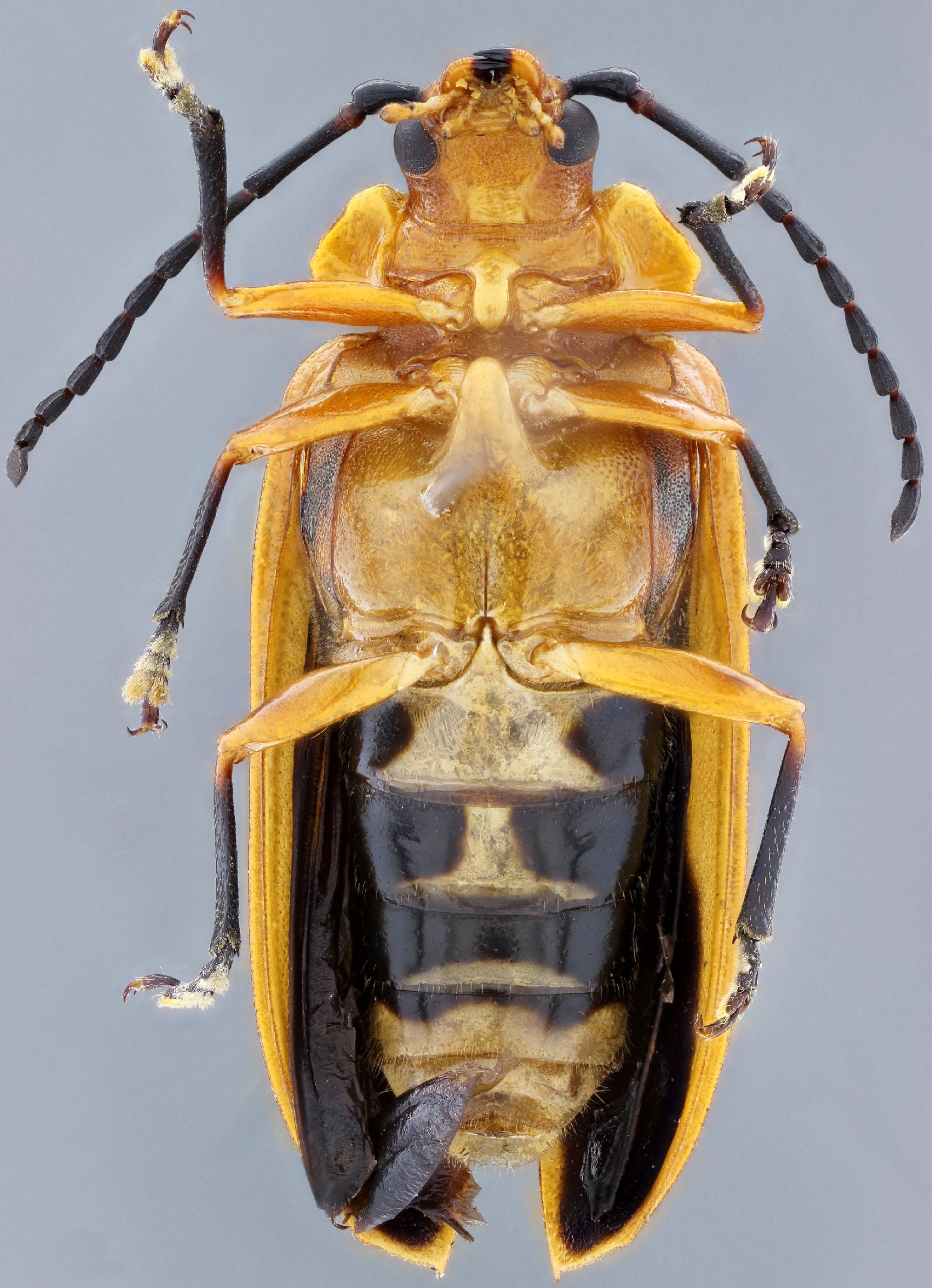
_Bot_Gal_SS_IAVH_El_Helechal_PNN_Gorgona_Cauca_Colombia.jpg)
Specimen Type: holotype Sex: m Institution: IAVH Instituto de Investigaciones de Recursos Biol Alexander von Humboldt, Leyva, Colombia Photographer: Antonio Santos-Silva Collection Location: El Helechal, Isla Gorgona, Cauca, Colombia 70413
|
_Bot_Gal_SS_IAVH_El_Helechal_PNN_Gorgona_Cauca_Colombia.jpg)
Specimen Type: holotype Sex: m Institution: IAVH Instituto de Investigaciones de Recursos Biol Alexander von Humboldt, Leyva, Colombia Photographer: Antonio Santos-Silva Collection Location: El Helechal, Isla Gorgona, Cauca, Colombia 70414
|
_Bot_Gal_SS_IAVH_El_Helechal_PNN_Gorgona_Cauca_Colombia.jpg)
Specimen Type: holotype Sex: m Institution: IAVH Instituto de Investigaciones de Recursos Biol Alexander von Humboldt, Leyva, Colombia Photographer: Antonio Santos-Silva Collection Location: El Helechal, Isla Gorgona, Cauca, Colombia 70415
|
_Bot_Gal_SS_IAVH_El_Helechal_PNN_Gorgona_Cauca_Colombia.jpg)
Specimen Type: holotype Sex: m Institution: IAVH Instituto de Investigaciones de Recursos Biol Alexander von Humboldt, Leyva, Colombia Photographer: Antonio Santos-Silva Collection Location: El Helechal, Isla Gorgona, Cauca, Colombia 70416
|
_Bot_Gal_SS_UNAB_Via_Pasto-Tumaco_Cascada_Narino_Colombia.jpg)
Specimen Type: paratype Sex: f Institution: UNAB Universidad Nacional, Facultad de Agronomía, Bogota, Colombia Photographer: Antonio Santos-Silva Collection Location: Via Pasto-Tumaco, Cascada, Narino, Colombia 70417
|
_Bot_Gal_SS_UNAB_Via_Pasto-Tumaco_Cascada_Narino_Colombia.jpg)
Specimen Type: paratype Sex: f Institution: UNAB Universidad Nacional, Facultad de Agronomía, Bogota, Colombia Photographer: Antonio Santos-Silva Collection Location: Via Pasto-Tumaco, Cascada, Narino, Colombia 70418
|
_Bot_Gal_SS_UNAB_Via_Pasto-Tumaco_Cascada_Narino_Colombia.jpg)
Specimen Type: paratype Sex: f Institution: UNAB Universidad Nacional, Facultad de Agronomía, Bogota, Colombia Photographer: Antonio Santos-Silva Collection Location: Via Pasto-Tumaco, Cascada, Narino, Colombia 70419
|
_Bot_Gal_SS_UNAB_Via_Pasto-Tumaco_Cascada_Narino_Colombia.jpg)
Specimen Type: paratype Sex: f Institution: UNAB Universidad Nacional, Facultad de Agronomía, Bogota, Colombia Photographer: Antonio Santos-Silva Collection Location: Via Pasto-Tumaco, Cascada, Narino, Colombia 70420
|
_Galileo_ZSM_Paramba_AM_Brazil_now_impostor_Pirkl_photo.jpg)
Otheostethus disjunctus Galileo Specimen Type: paratype Sex: m Institution: ZSM Zoologische Staatssammlung, München, Germany Photographer: Jirí Pirkl Collection Location: Paramba, Amazonas, Brazil 70409
|
_Galileo_ZSM_Paramba_AM_Brazil_now_impostor_Pirkl_photo.jpg)
Otheostethus disjunctus Galileo Specimen Type: paratype Sex: m Institution: ZSM Zoologische Staatssammlung, München, Germany Photographer: Jirí Pirkl Collection Location: Paramba, Amazonas, Brazil 70410
|
_Galileo_ZSM_Paramba_AM_Brazil_now_impostor_Pirkl_photo.jpg)
Otheostethus disjunctus Galileo Specimen Type: paratype Sex: m Institution: ZSM Zoologische Staatssammlung, München, Germany Photographer: Jirí Pirkl Collection Location: Paramba, Amazonas, Brazil 70411
|
_Galileo_ZSM_Paramba_AM_Brazil_now_impostor_Pirkl_photo.jpg)
Otheostethus disjunctus Galileo Specimen Type: paratype Sex: m Institution: ZSM Zoologische Staatssammlung, München, Germany Photographer: Jirí Pirkl Collection Location: Paramba, Amazonas, Brazil 70412
|
|