_Leech_CAS_8527.jpg)
Specimen Type: holotype Sex: m Institution: CAS California Academy of Sciences, San Francisco, CA, USA Photographer: Larry G. Bezark Collection Location: Scott River at Klamath River, Siskiyou County, California 23373
|
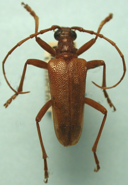
_Leech_CAS.jpg)
Specimen Type: allotype Sex: f Institution: CAS California Academy of Sciences, San Francisco, CA, USA Photographer: Larry G. Bezark 605
|