New Search Family, Subfamily and Tribe List

SubFamily Lamiinae

Tribe Neopachystolini
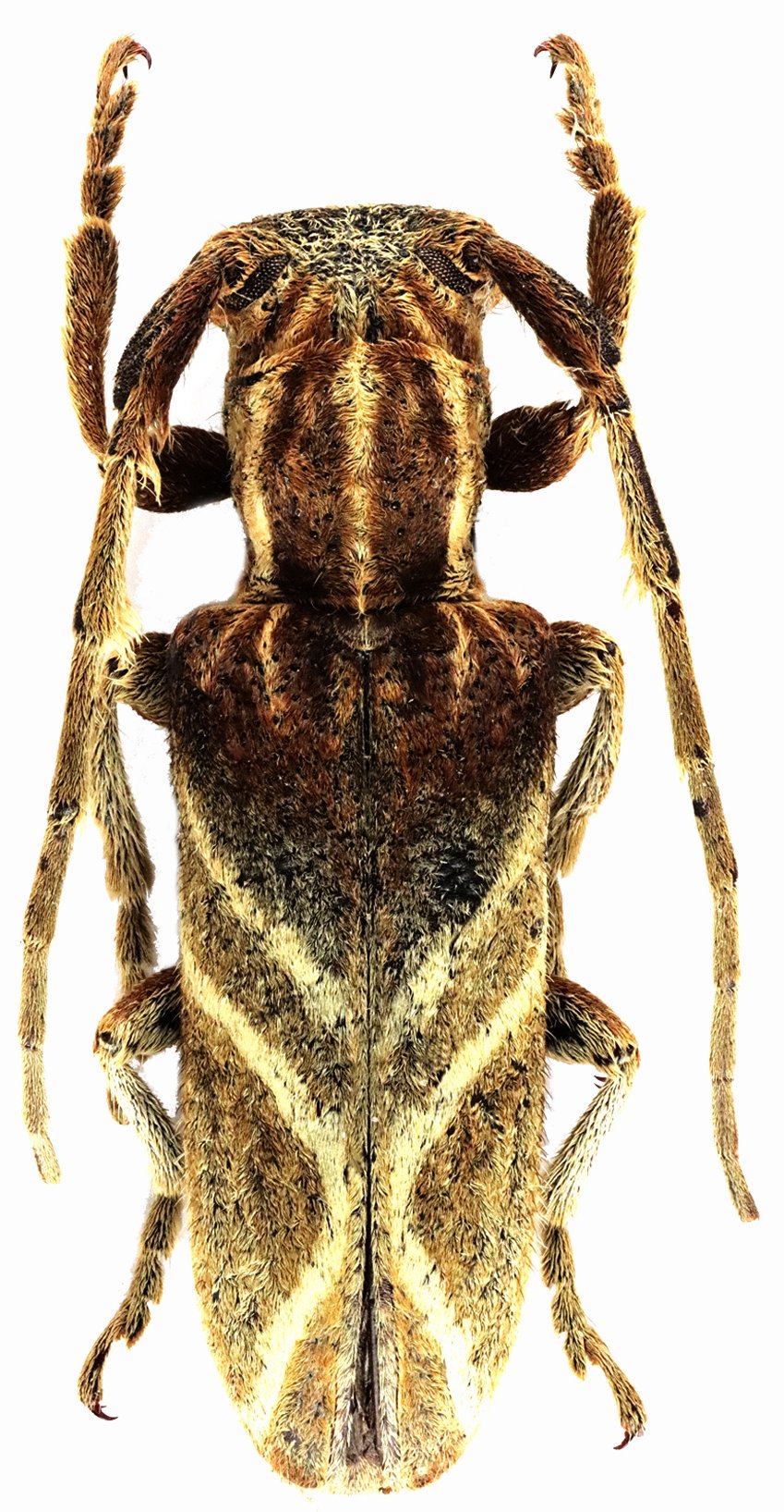
Spodotaenia tanzanicola François & Sudre 2019

Specimen Type: paratype
Sex: f
Institution: François Collection
Photographer: Mickael François
Collection Location: Sagala Hills, Taita-Taveta County, Kenya
72305

130425