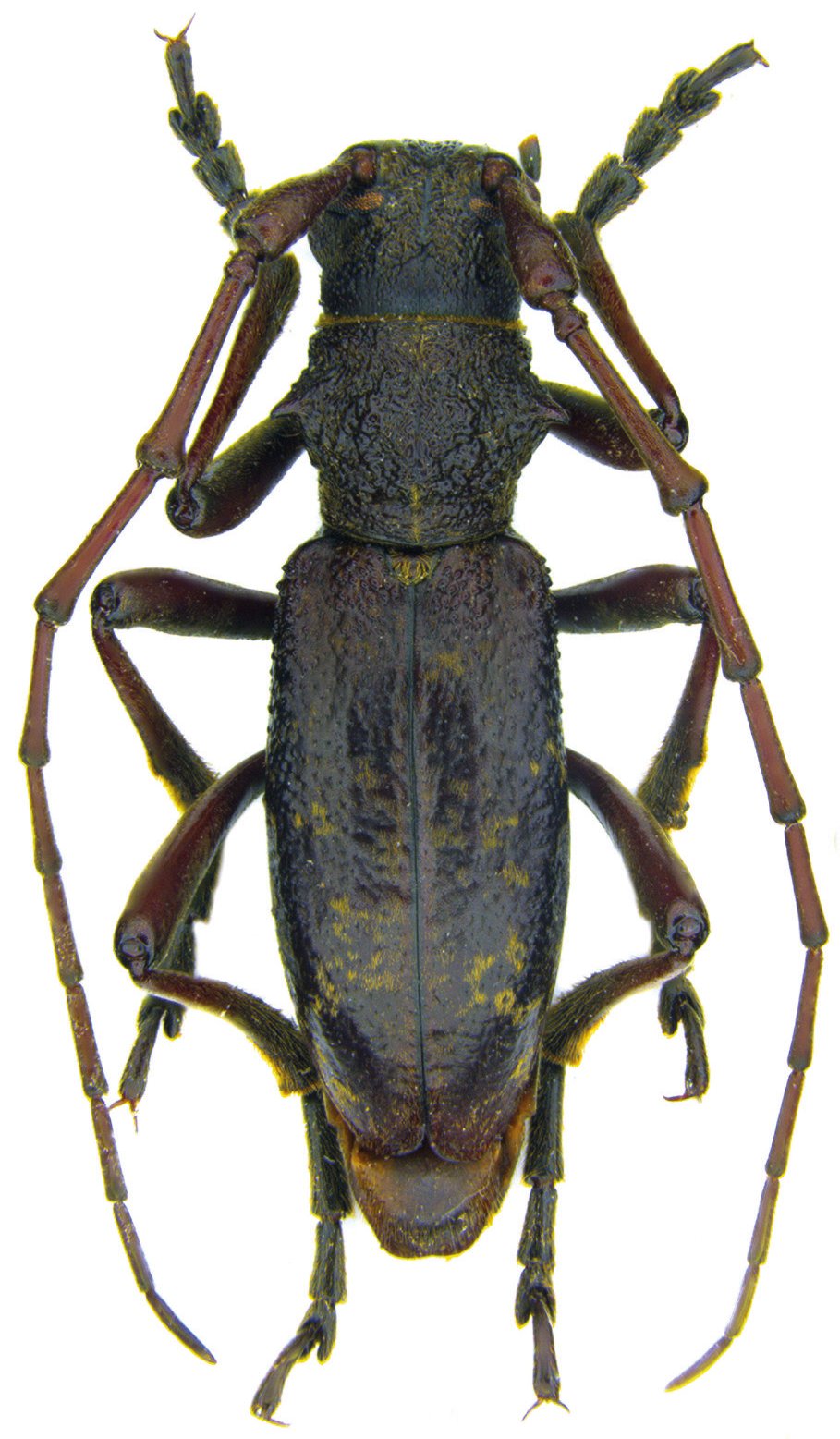
 Weigel NKME E slope Pathibara, Taplejung District, E Nepal.jpg)
Specimen Type: holotype Sex: m Institution: NKME Naturkundemuseum Erfurt, Germany Photographer: Andreas Weigel Collection Location: E slope Pathibara, Taplejung District, E Nepal 75827
|
 Weigel coll E slope Pathibara, Taplejung District, E Nepal.jpg)
Specimen Type: paratype Sex: f Institution: Weigel Collection Photographer: Andreas Weigel Collection Location: E slope Pathibara, Taplejung District, E Nepal 75828
|