
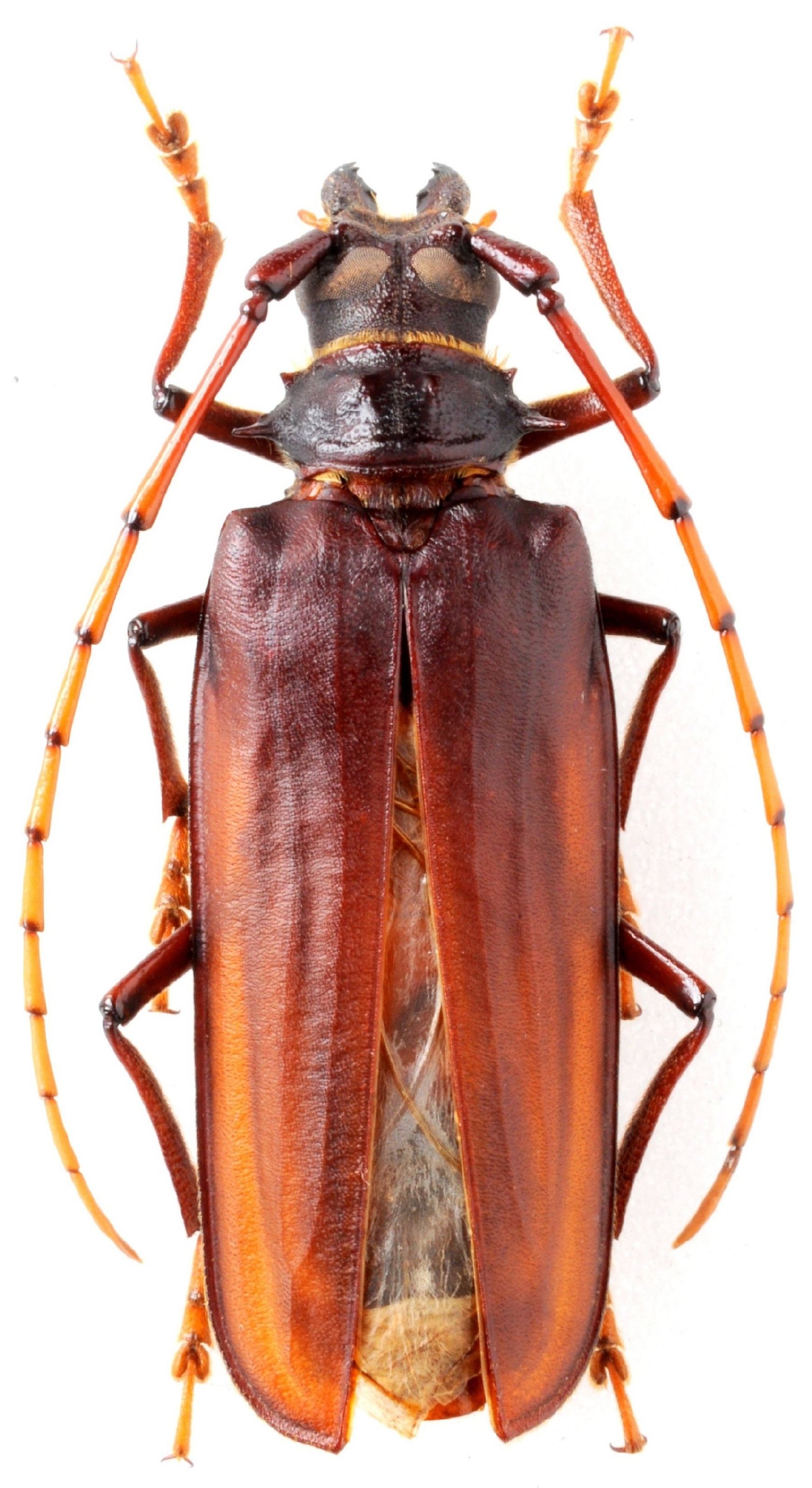
Sex: m Photographer: Jim Wappes Collection Location: Bolivia 13128
|
_Misahualli_Napo_Ecuador_id_SS_LGB.jpg)
Sex: f Institution: EMEC Essig Museum of Entomology, Berkeley, CA, USA Photographer: Larry G. Bezark Determiner: Antonio Santos-Silva Collection Location: Misahualli, Napo, Ecuador 44864
|
 Kirsch Santa Ana, Satipo, Peru Robin.jpg)
Sex: m Photographer: Frédéric Robin Collection Location: Santa Ana, Satipo, Peru 13129
|

Sex: m Photographer: Sergio Castro 30866
|

Sex: m Photographer: Ivo Jenis Collection Location: Ecuador 13130
|
 Kirsch MZSP Colombia SS.jpg)
Sex: f Institution: MZSP Museu de Zoologia da Universidade de São Paulo, Brazil Photographer: Antonio Santos-Silva Collection Location: Colombia 90818
|
 Kirsch Tierra Hermosa, Amazonas, Loreto, Peru Pierre Haller det SS.jpg)
Sex: f Photographer: Pierre Haller Collection Location: Tierra Hermosa, Amazonas, Loreto, Peru 90819
|
 Kirsch Tierra Hermosa, Amazonas, Loreto, Peru Pierre Haller det SS.jpg)
Sex: f Photographer: Pierre Haller Collection Location: Tierra Hermosa, Amazonas, Loreto, Peru 90820
|
|