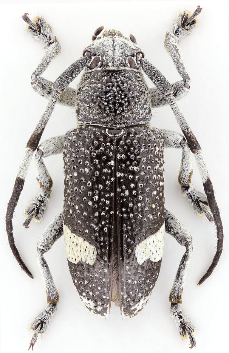
 Viktora coll Tana Rata, Cameron Highlands, Pahang, Malaysia Richard Senhal pic.jpg)
Specimen Type: holotype Sex: m Institution: Viktora Collection Photographer: Richard Senhal Collection Location: Gunung Jasar, Tana Rata, Cameron Highlands, Pahang, Malaysia 89443
|
 Viktora LD pic coll Tana Rata, Cameron Highlands, Pahang, Malaysia.jpg)
Specimen Type: paratype Sex: f Institution: Dembický Collection Photographer: Lubo Dembický Collection Location: Gunung Jasar, Tana Rata, Cameron Highlands, Pahang, Malaysia 89444
|