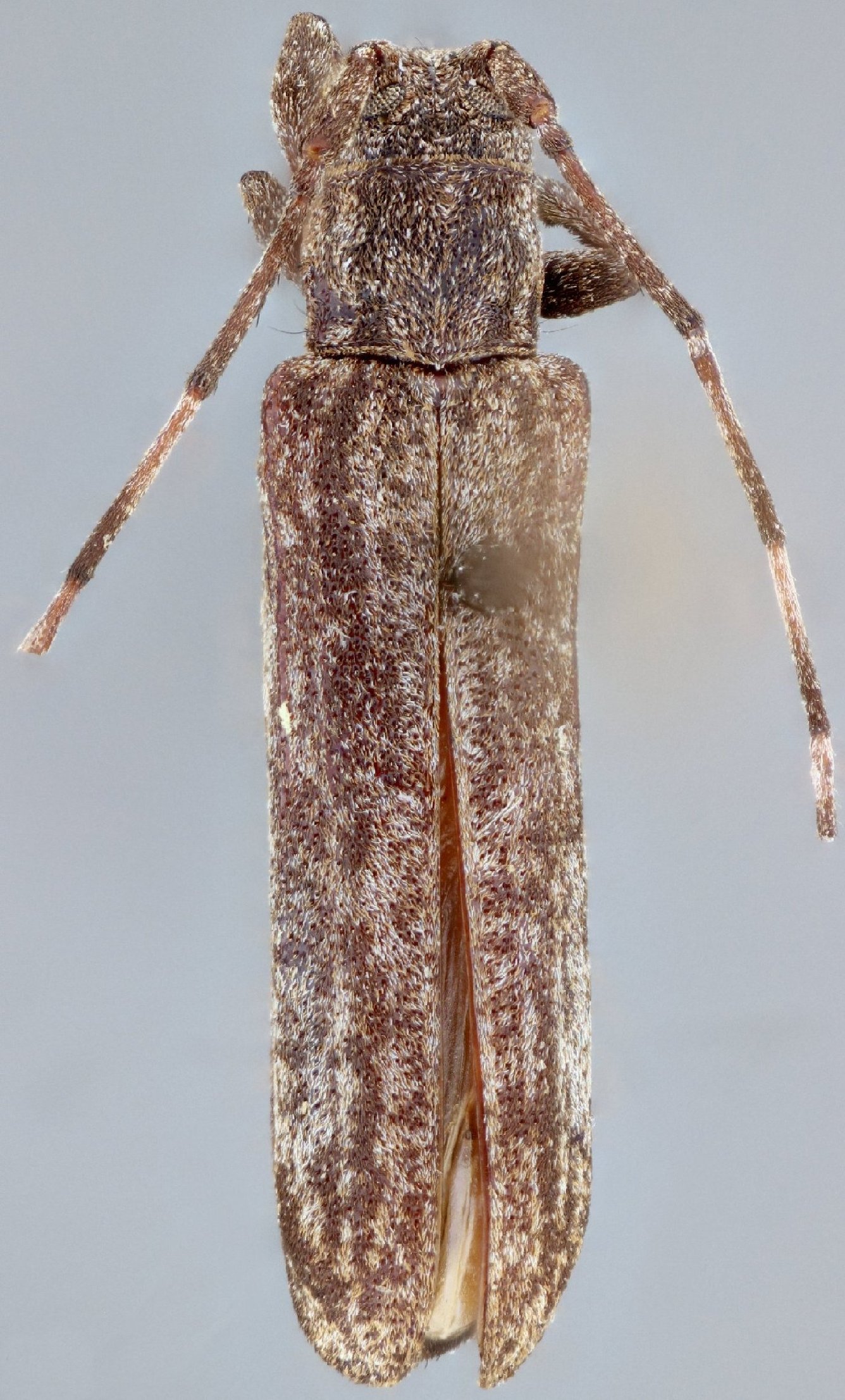
_Wappes_SS_FSCA_18kmNW_Villaguay_Entre_Rios_Argentina.jpg)
Specimen Type: holotype Sex: f Institution: FSCA Florida State Collection of Arthropods, Gainesville, FL, USA Photographer: Antonio Santos-Silva Collection Location: 18 km NW Villaguay, Entre Rios, Argentina 70279
|
_Wappes_SS_FSCA_18kmNW_Villaguay_Entre_Rios_Argentina.jpg)
Specimen Type: holotype Sex: f Institution: FSCA Florida State Collection of Arthropods, Gainesville, FL, USA Photographer: Antonio Santos-Silva Collection Location: 18 km NW Villaguay, Entre Rios, Argentina 70280
|
_Wappes_SS_FSCA_18kmNW_Villaguay_Entre_Rios_Argentina.jpg)
Specimen Type: holotype Sex: f Institution: FSCA Florida State Collection of Arthropods, Gainesville, FL, USA Photographer: Antonio Santos-Silva Collection Location: 18 km NW Villaguay, Entre Rios, Argentina 70281
|
_Wappes_SS_FSCA_18kmNW_Villaguay_Entre_Rios_Argentina.jpg)
Specimen Type: holotype Sex: f Institution: FSCA Florida State Collection of Arthropods, Gainesville, FL, USA Photographer: Antonio Santos-Silva Collection Location: 18 km NW Villaguay, Entre Rios, Argentina 70282
|
_Wappes_SS_MZSP_Rio_Vermelho_Santa_Cat_Brazil.jpg)
Specimen Type: paratype Sex: f Institution: MZSP Museu de Zoologia da Universidade de São Paulo, Brazil Photographer: Antonio Santos-Silva Collection Location: Rio Vermelho, Santa Catarina, Brazil 70283
|
|