_Wappes_SS_FSCA_4kmSSE_Buena_Vista_HotelFF_SC_Bolivia.jpg)
Specimen Type: holotype Sex: f Institution: FSCA Florida State Collection of Arthropods, Gainesville, FL, USA Photographer: Antonio Santos-Silva Collection Location: 4 km SSE Buena Vista, Hotel Flora & Fauna, Santa Cruz, Bolivia 70270
|
_Wappes_SS_FSCA_4kmSSE_Buena_Vista_HotelFF_SC_Bolivia.jpg)
Specimen Type: holotype Sex: f Institution: FSCA Florida State Collection of Arthropods, Gainesville, FL, USA Photographer: Antonio Santos-Silva Collection Location: 4 km SSE Buena Vista, Hotel Flora & Fauna, Santa Cruz, Bolivia 70271
|
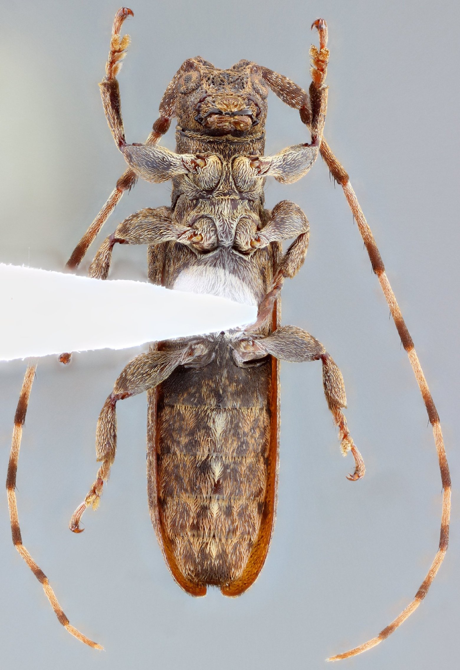
_Wappes_SS_FSCA_4kmSSE_Buena_Vista_HotelFF_SC_Bolivia.jpg)
Specimen Type: holotype Sex: f Institution: FSCA Florida State Collection of Arthropods, Gainesville, FL, USA Photographer: Antonio Santos-Silva Collection Location: 4 km SSE Buena Vista, Hotel Flora & Fauna, Santa Cruz, Bolivia 70272
|
_Wappes_SS_FSCA_4kmSSE_Buena_Vista_HotelFF_SC_Bolivia.jpg)
Specimen Type: holotype Sex: f Institution: FSCA Florida State Collection of Arthropods, Gainesville, FL, USA Photographer: Antonio Santos-Silva Collection Location: 4 km SSE Buena Vista, Hotel Flora & Fauna, Santa Cruz, Bolivia 70273
|
_Wappes_SS_ACMT_4kmSSE_Buena_Vista_HotelFF_SC_Bolivia.jpg)
Specimen Type: paratype Sex: f Institution: ACMT American Coleoptera Collection, Texas (now at FSCA) Photographer: Antonio Santos-Silva Collection Location: 4 km SSE Buena Vista, Hotel Flora & Fauna, Santa Cruz, Bolivia 70274
|
|