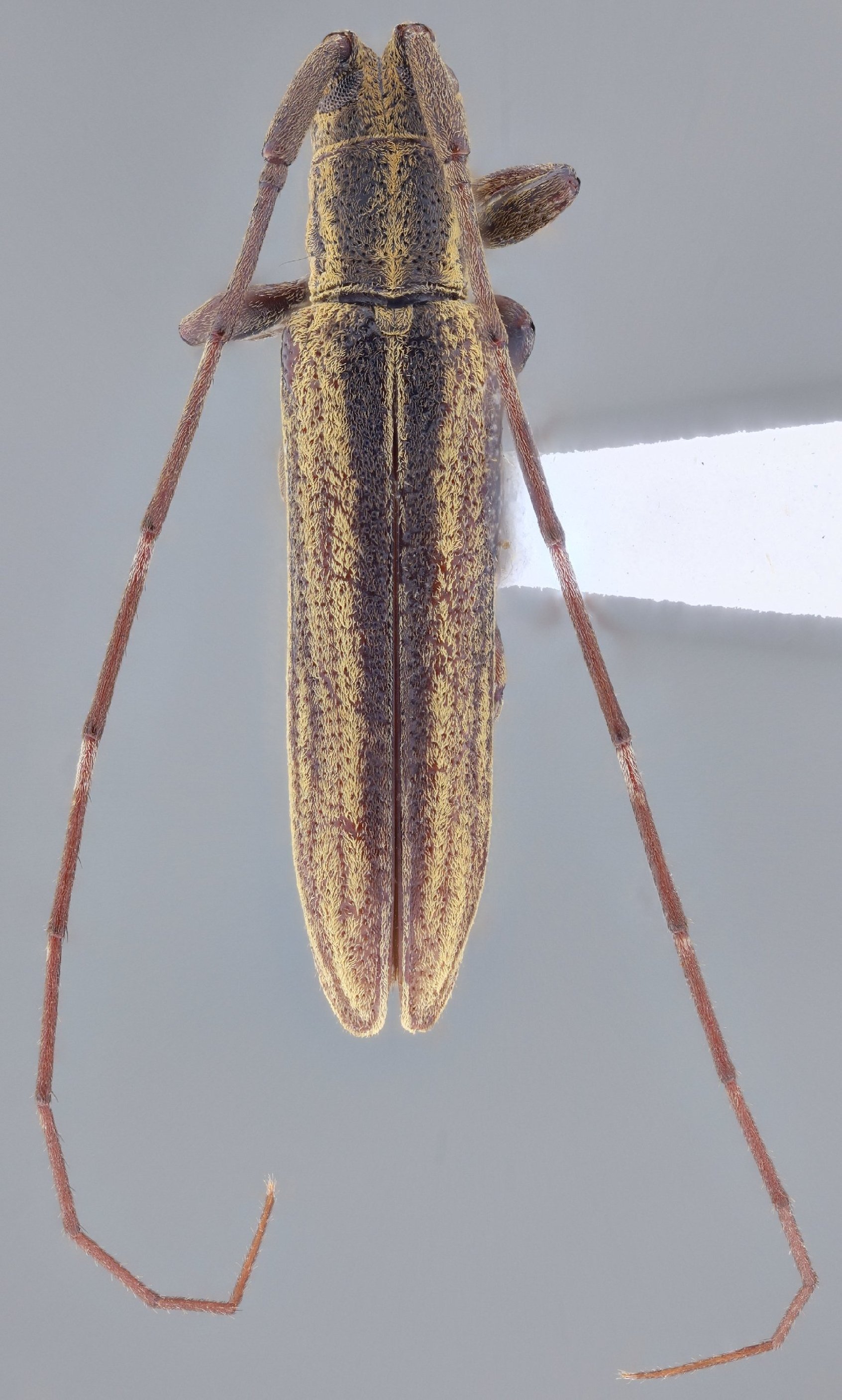
_Wappes_SS_FSCA_4-6kmSSE_Buena_Vista_Hotel_FF_SC_Bolivia.jpg)
Specimen Type: holotype Sex: m Institution: FSCA Florida State Collection of Arthropods, Gainesville, FL, USA Photographer: Antonio Santos-Silva Collection Location: 4-6 km SSE Buena Vista, Hotel Flora & Fauna, Santa Cruz, Bolivia 70264
|
_Wappes_SS_FSCA_4-6kmSSE_Buena_Vista_Hotel_FF_SC_Bolivia.jpg)
Specimen Type: holotype Sex: m Institution: FSCA Florida State Collection of Arthropods, Gainesville, FL, USA Photographer: Antonio Santos-Silva Collection Location: 4-6 km SSE Buena Vista, Hotel Flora & Fauna, Santa Cruz, Bolivia 70265
|
_Wappes_SS_FSCA_4-6kmSSE_Buena_Vista_Hotel_FF_SC_Bolivia.jpg)
Specimen Type: holotype Sex: m Institution: FSCA Florida State Collection of Arthropods, Gainesville, FL, USA Photographer: Antonio Santos-Silva Collection Location: 4-6 km SSE Buena Vista, Hotel Flora & Fauna, Santa Cruz, Bolivia 70266
|
_Wappes_SS_FSCA_4-6kmSSE_Buena_Vista_Hotel_FF_SC_Bolivia.jpg)
Specimen Type: holotype Sex: m Institution: FSCA Florida State Collection of Arthropods, Gainesville, FL, USA Photographer: Antonio Santos-Silva Collection Location: 4-6 km SSE Buena Vista, Hotel Flora & Fauna, Santa Cruz, Bolivia 70267
|
_Wappes_SS_FSCA_4-6kmSSE_Buena_Vista_Hotel_FF_SC_Bolivia.jpg)
Specimen Type: holotype Sex: m Institution: FSCA Florida State Collection of Arthropods, Gainesville, FL, USA Photographer: Antonio Santos-Silva Collection Location: 4-6 km SSE Buena Vista, Hotel Flora & Fauna, Santa Cruz, Bolivia 70268
|
_Wappes_SS_MZSP_Buena_Vista_El_Cairo_SC_Bolivia.jpg)
Specimen Type: paratype Sex: f Institution: MZSP Museu de Zoologia da Universidade de São Paulo, Brazil Photographer: Antonio Santos-Silva Collection Location: Buena Vista, El Cairo, Santa Cruz, Bolivia 70269
|
 Wapp SS WHTC Finca Tarrales, Suchitepequez, Guatemala SS.jpg)
Sex: m Institution: WHTC William H. Tyson Collection, Coarsegold, California, USA Photographer: Antonio Santos-Silva Collection Location: Finca Tarrales, Suchitepequez, Guatemala 90660
|
|