_Wappes _SS_FSCA_3kmS_Ipiti_Bayano_Panama_Panama.jpg)
Specimen Type: holotype Sex: f Institution: FSCA Florida State Collection of Arthropods, Gainesville, FL, USA Photographer: Antonio Santos-Silva Collection Location: 3 km S Ipiti, Bayano District, Panama, Panama 70256
|
_Wappes _SS_FSCA_3kmS_Ipiti_Bayano_Panama_Panama.jpg)
Specimen Type: holotype Sex: f Institution: FSCA Florida State Collection of Arthropods, Gainesville, FL, USA Photographer: Antonio Santos-Silva Collection Location: 3 km S Ipiti, Bayano District, Panama, Panama 70257
|
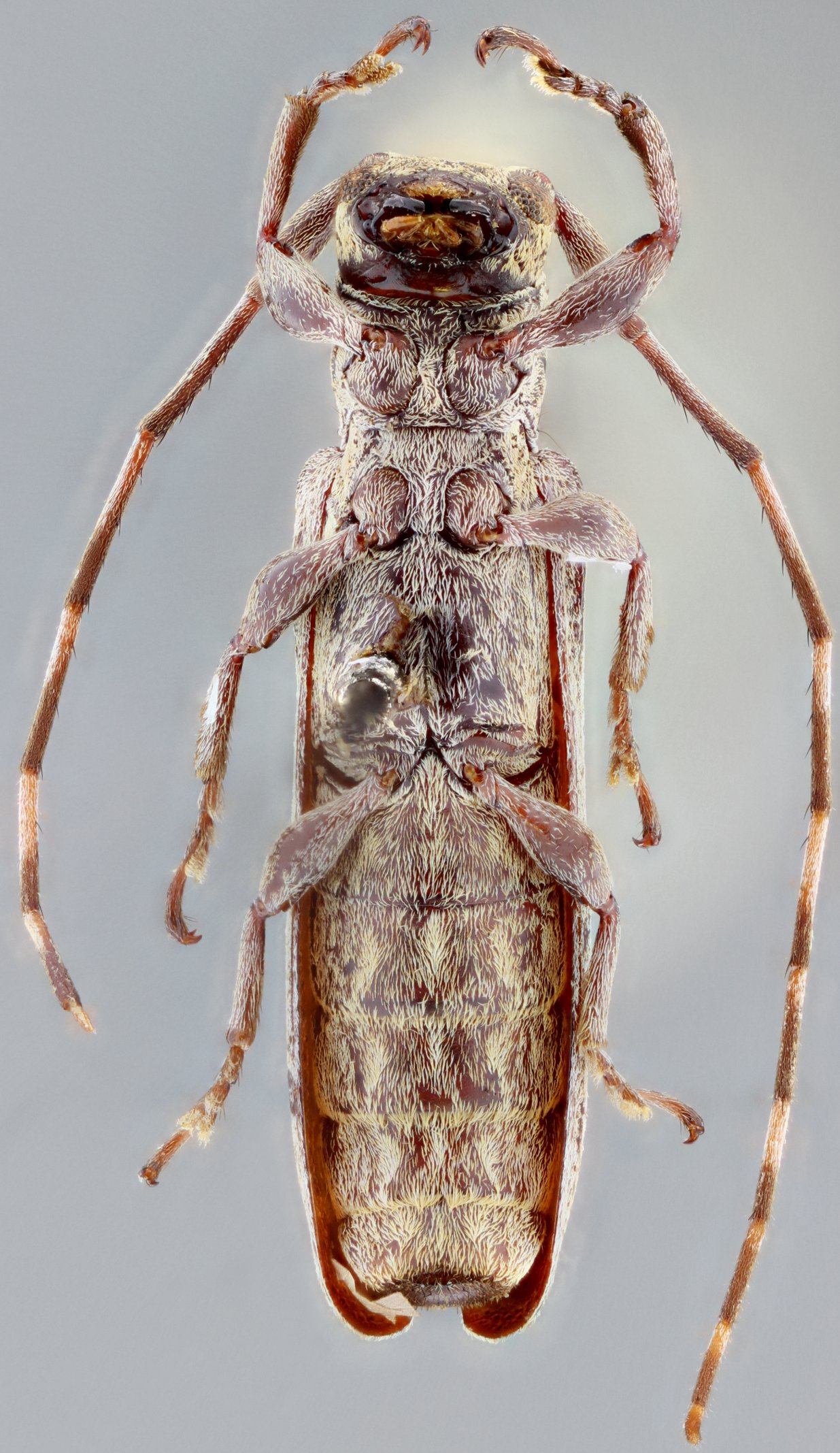
_Wappes _SS_FSCA_3kmS_Ipiti_Bayano_Panama_Panama.jpg)
Specimen Type: holotype Sex: f Institution: FSCA Florida State Collection of Arthropods, Gainesville, FL, USA Photographer: Antonio Santos-Silva Collection Location: 3 km S Ipiti, Bayano District, Panama, Panama 70258
|
_Wappes _SS_FSCA_3kmS_Ipiti_Bayano_Panama_Panama.jpg)
Specimen Type: holotype Sex: f Institution: FSCA Florida State Collection of Arthropods, Gainesville, FL, USA Photographer: Antonio Santos-Silva Collection Location: 3 km S Ipiti, Bayano District, Panama, Panama 70259
|
|