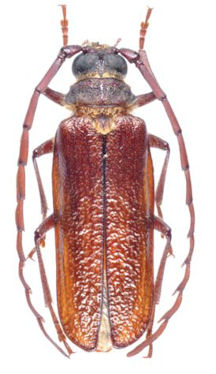
 Melzer MZSP Passa Quatro, Minas Gerais, Brazil now gounellei Moure.jpg)
Quercivir zikani Melzer Specimen Type: lectotype Institution: MZSP Museu de Zoologia da Universidade de São Paulo, Brazil Photographer: JS Moure Collection Location: Passa Quatro, Minas Gerais, Brazil 102005
|
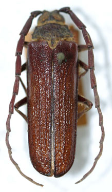
 Melzer NMNH Passa Quatro, Minas Gerais, Brazil now gounellei Moure.jpg)
Quercivir zikani Melzer Specimen Type: paralectotype Institution: NMNH United States National Museum, Washington, DC, USA Photographer: JS Moure Collection Location: Passa Quatro, Minas Gerais, Brazil 102006
|
 Melzer MZSP Passa Quatro, Minas Gerais, Brazil now gounellei Moure.jpg)
Specimen Type: syntype Institution: MZSP Museu de Zoologia da Universidade de São Paulo, Brazil Photographer: JS Moure Collection Location: Passa Quatro, Minas Gerais, Brazil 102007
|
 Melzer MZSP Passa Quatro, Minas Gerais, Brazil now gounellei Moure.jpg)
Specimen Type: syntype Institution: MZSP Museu de Zoologia da Universidade de São Paulo, Brazil Photographer: JS Moure Collection Location: Passa Quatro, Minas Gerais, Brazil 102008
|
_NMNH_Passa_Quatro_MG_Brazil.jpg)
Quercivir zikani Melzer Specimen Type: cotype Sex: m Institution: NMNH United States National Museum, Washington, DC, USA Photographer: Steve Lingafelter Collection Location: Passa Quatro, Minas Gerais, Brazil 30223
|
_Melzer_MZSP_SWL_=_Quercivir_gounellei_Lameere.jpg)
Quercivir zikani Melzer Specimen Type: cotype Institution: MZSP Museu de Zoologia da Universidade de São Paulo, Brazil Photographer: Steve Lingafelter Collection Location: Passa Quatro, Minas Gerais, Brazil 12915
|

Collection Location: Itatiaia, Rio de Janeiro, Brazil 30222
|
|