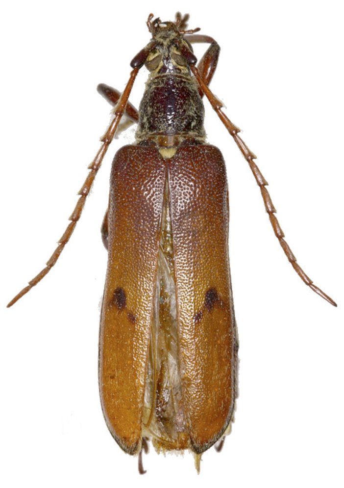
_Jacquot_MNHN_N_Maluku_Indonesia_PJ.jpg)
Specimen Type: holotype Sex: m Institution: MNHN Museum of Natural History Paris, France Photographer: Philippe Jacquot Collection Location: N Maluku, Indonesia 71084
|
_Jacquot_MNHN_PJ.jpg)
Sex: f Institution: MNHN Museum of Natural History Paris, France Photographer: Philippe Jacquot 71085
|