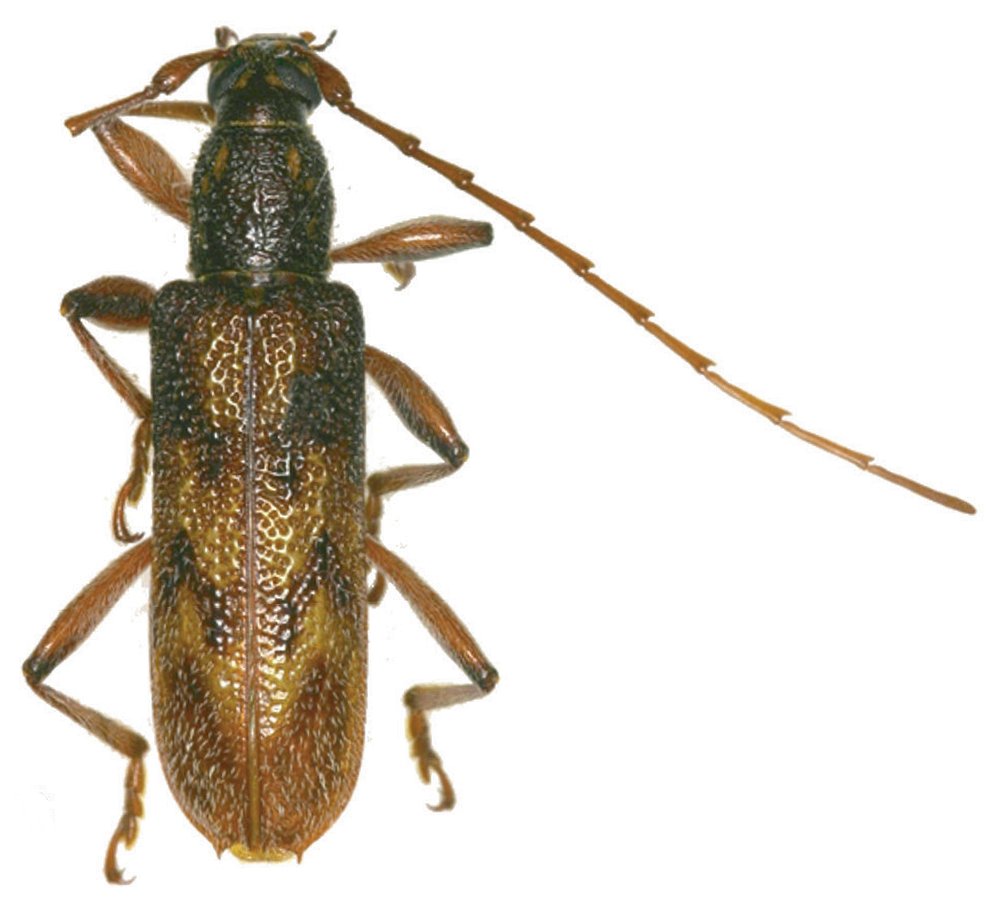
_Slip_Esc.jpg)
Specimen Type: holotype Sex: m Institution: ANIC Australian National Insect Collection, Canberra Photographer: Slipinski & Escalona Collection Location: Toowoomba, Queensland, Australia 61820
|
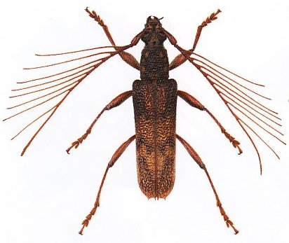
_Jacquot_ANIC_New_South_Wales_Australia_PJ.jpg)
Specimen Type: paratype Sex: f Institution: ANIC Australian National Insect Collection, Canberra Photographer: Philippe Jacquot Collection Location: New South Wales, Australia 71075
|