New Search Family, Subfamily and Tribe List

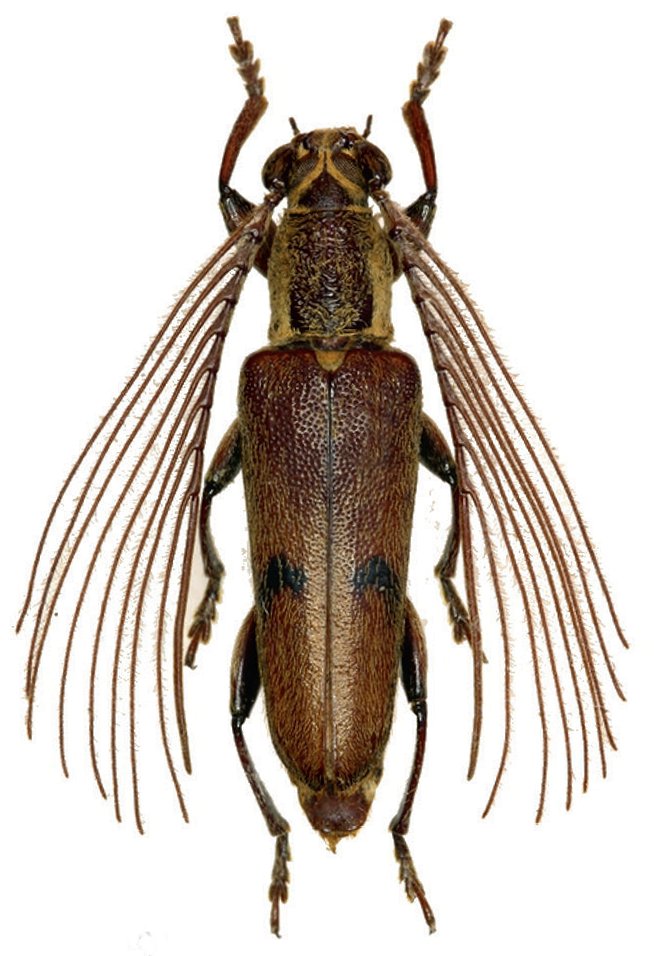
SubFamily Cerambycinae

Tribe Strongylurini
Aprosictus pedicellus Jacquot 2017

Specimen Type: holotype
Sex: m
Institution: Phillippe Jacquot Collection
Photographer: Philippe Jacquot
Collection Location: Padang, W Sumatra, Indonesia
71081

130425