New Search Family, Subfamily and Tribe List

SubFamily Cerambycinae

Tribe Strongylurini
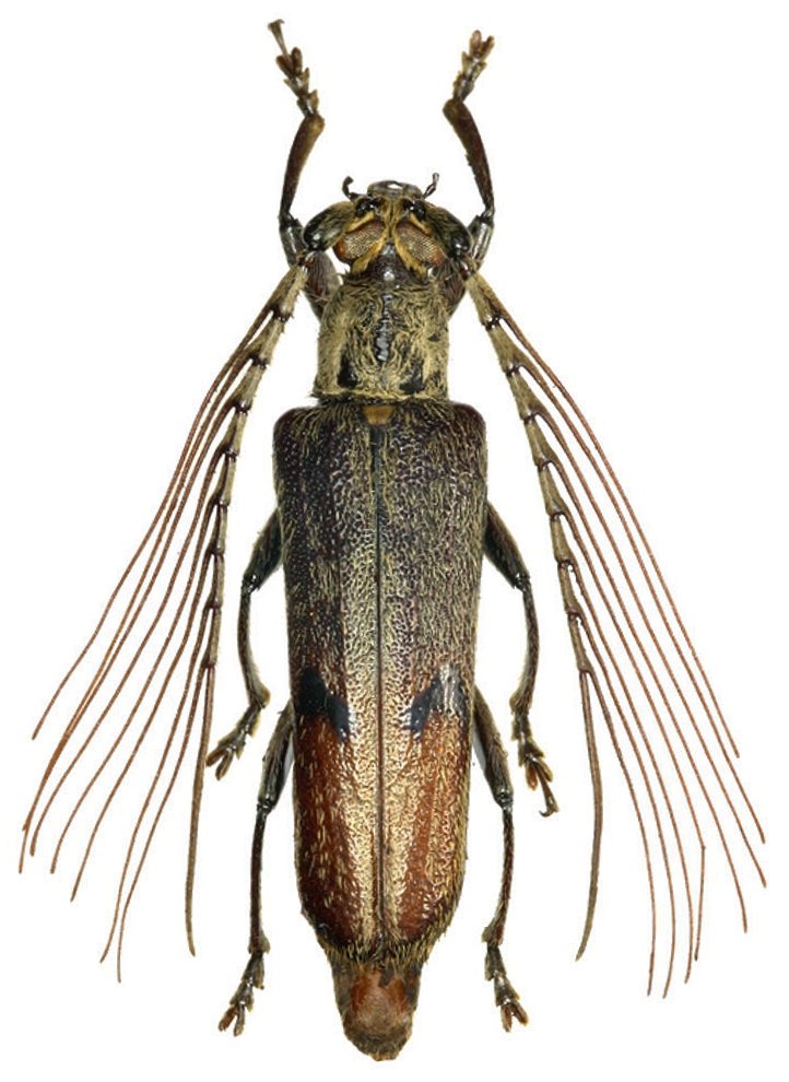
Aprosictus paloloensis Jacquot 2017

Specimen Type: holotype
Sex: m
Institution: Phillippe Jacquot Collection
Photographer: Philippe Jacquot
Collection Location: Palolo Village, Central Sulawesi, Indonesia
71080

130425