New Search Family, Subfamily and Tribe List

SubFamily Cerambycinae

Tribe Strongylurini
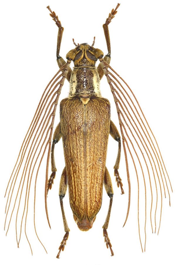
Aprosictus lombokensis Jacquot 2017

Specimen Type: holotype
Sex: m
Institution: Phillippe Jacquot Collection
Photographer: Philippe Jacquot
Collection Location: Senarm Village, N Lombok Island, Indonesia
71079

130425