New Search Family, Subfamily and Tribe List

SubFamily Cerambycinae

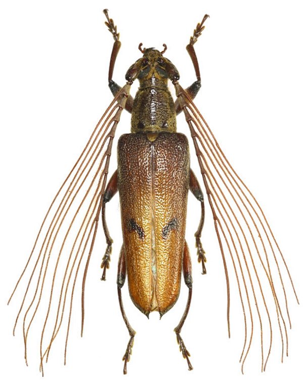
Tribe Strongylurini
Aprosictus dilatoscapus Jacquot 2017

Specimen Type: holotype
Sex: m
Institution: Phillippe Jacquot Collection
Photographer: Philippe Jacquot
Collection Location: Mamasa, W Sulawesi, Indonesia
71069

130425