_Jacquot_PJC_Ramajat_Mt_Ilat_Village_Buru_Indonesia_PJ.jpg)
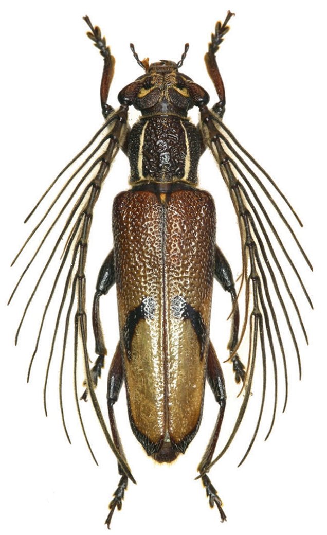
Specimen Type: holotype Sex: m Institution: Phillippe Jacquot Collection Photographer: Philippe Jacquot Collection Location: Ramajat Mt, Ilat Village, Buru, Indonesia 71066
|
_Jacquot_PJC_Ramajat_Mt_Ilat_Village_Buru_Indonesia_PJ.jpg)
Specimen Type: paratype Sex: f Institution: Phillippe Jacquot Collection Photographer: Philippe Jacquot Collection Location: Ramajat Mt, Ilat Village, Buru, Indonesia 71067
|