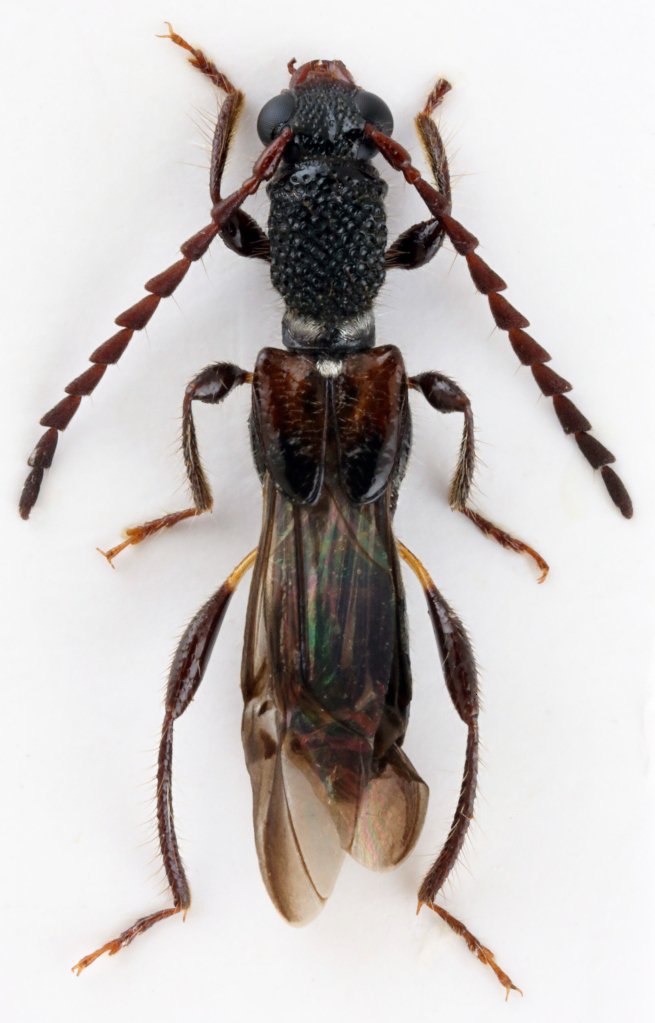
_Viktora_Coll_35kmN_Payakumbuh_Mt_Sanggul_W_Sumatera_Prov_Indonesia.jpg)
Specimen Type: holotype Sex: m Institution: Viktora Collection Photographer: Viktora Collection Location: Mt Sanggul, 35 km N Payakumbuh, W Sumatra, Indonesia 71210
|
 Viktora Coll Mt Sanggul, 35 km N Payakumbuh, W Sumatra, Indonesia.jpg)
Specimen Type: holotype Sex: m Institution: Viktora Collection Photographer: Petr Viktora Collection Location: Mt Sanggul, 35 km N Payakumbuh, W Sumatra, Indonesia 76610
|