_Viktora_coll_Mt_Phu_Pan_NE_Laos.jpg)
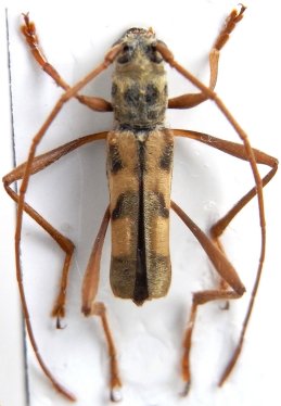
Specimen Type: holotype Sex: m Institution: Viktora Collection Photographer: Petr Viktora Collection Location: Mt Phu Pan, Hua Phan Province, NE Laos 71229
|
_Viktora_coll_Mt_Phu_Pan_NE_Laos.jpg)
Specimen Type: paratype Sex: f Institution: Viktora Collection Photographer: Petr Viktora Collection Location: Mt Phu Pan, Hua Phan Province, NE Laos 71230
|