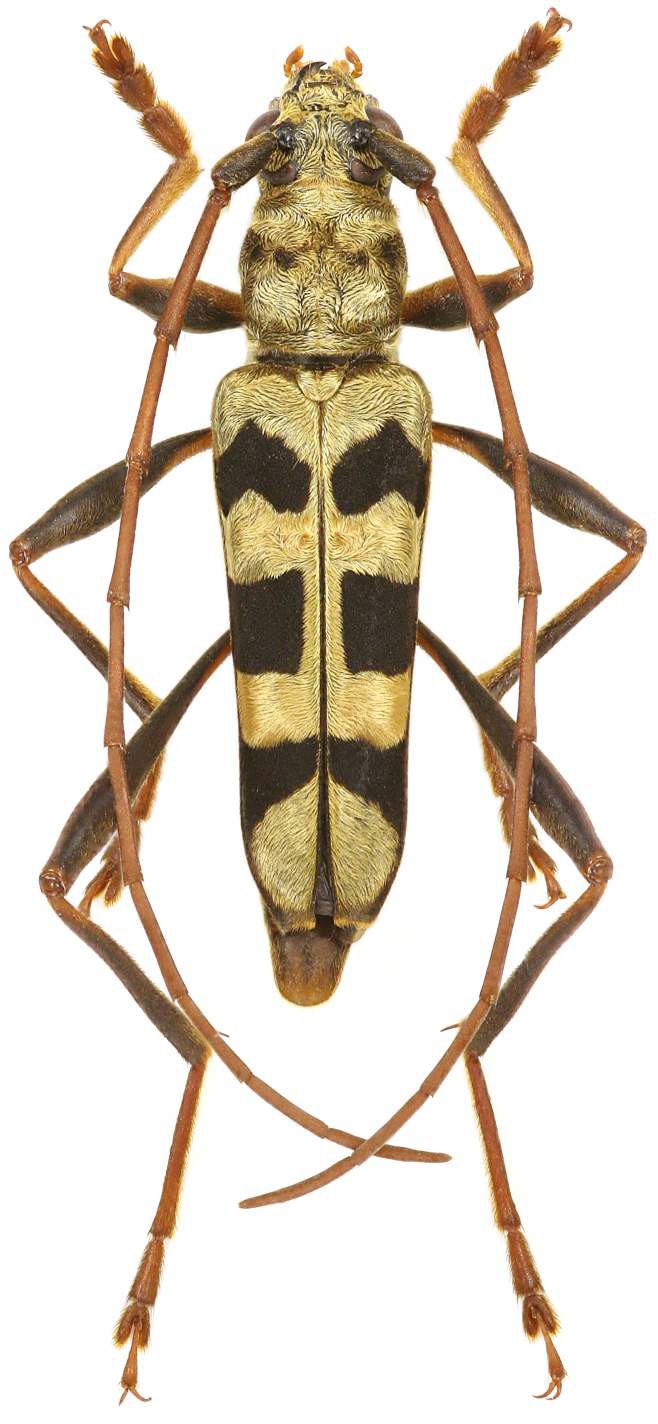
_Viktora_Liu_Coll_Mt_Jianfengling_Li_Dong_County_Hainan_China_Vikt.jpg)
Specimen Type: holotype Sex: m Institution: BITS Bin Insect Taxonomy Studio, Beijing, China Photographer: Petr Viktora Collection Location: Mt Jianfengling, Li Dong Autonomous County, Hainan, China 71227
|
_Viktora_Liu_Coll_Mt_Jianfengling_Li_Dong_County_Hainan_China_Vikt.jpg)
Specimen Type: paratype Sex: f Institution: Viktora Collection Photographer: Petr Viktora Collection Location: Mt Jianfengling, Li Dong Autonomous County, Hainan, China 71228
|