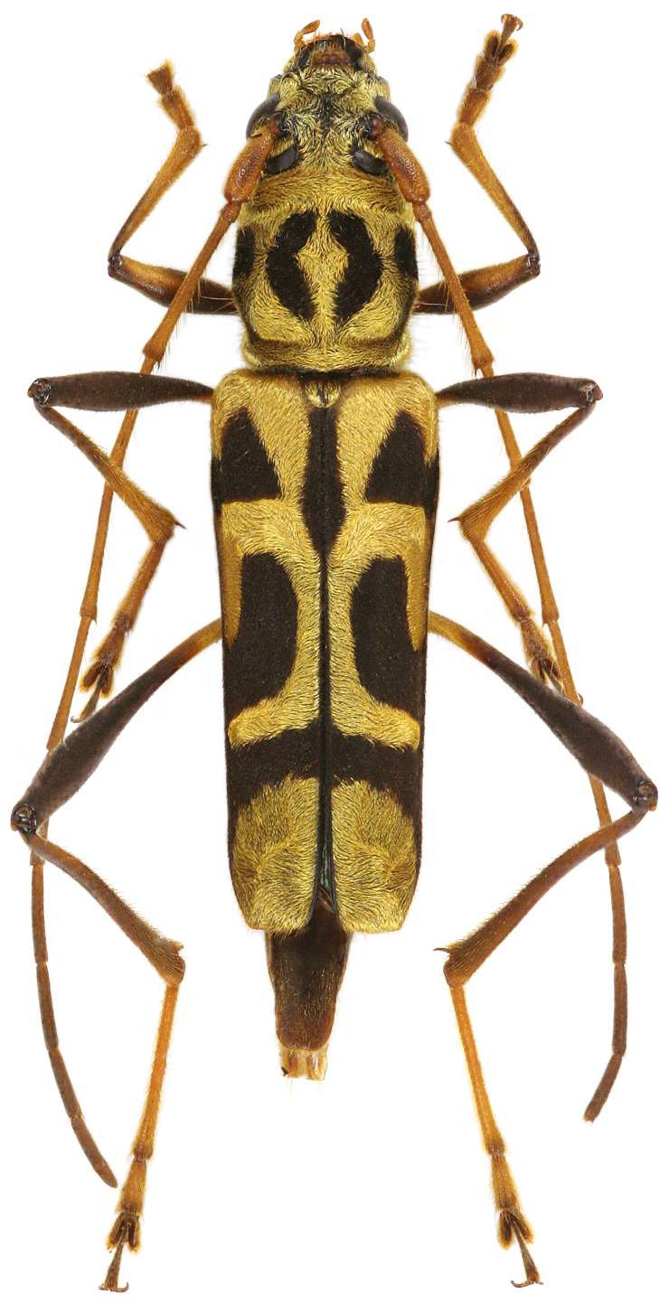
_Viktora_Liu_Dambri_waterfall_Boo_Lam_dist_Lam_Dong_prov_Vietnam_Vikt.jpg)
Specimen Type: holotype Sex: m Institution: Viktora Collection Photographer: Petr Viktora Collection Location: Dambri waterfall, Boo Lam district, Lam Dong Province, Vietnam 71223
|
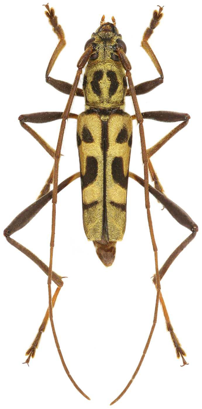
_Viktora_Liu_Dambri_waterfall_Boo_Lam_dist_Lam_Dong_prov_Vietnam_Vikt.jpg)
Specimen Type: paratype Sex: f Institution: Viktora Collection Photographer: Petr Viktora Collection Location: Dambri waterfall, Boo Lam district, Lam Dong Province, Vietnam 71224
|