New Search Family, Subfamily and Tribe List

SubFamily Cerambycinae

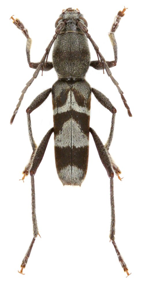
Tribe Clytini
Demonax seductus Viktora 2016

Specimen Type: holotype
Sex: m
Institution: Viktora Collection
Photographer: Petr Viktora
Collection Location: Salappa village, Siberut Island, Mentawai Islands, Indonesia
75068

130425