_Viktora_coll_Saraburi_NE_Bangkok_Thailand.jpg)
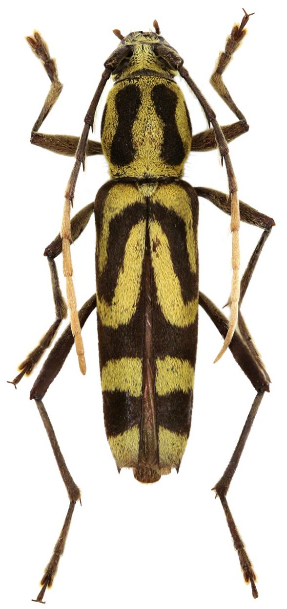
Specimen Type: holotype Institution: Viktora Collection Photographer: Petr Viktora Collection Location: Saraburi, NE Bangkok, Thailand 73871
|
_Viktora_coll_Saraburi_NE_Bangkok_Thailand.jpg)
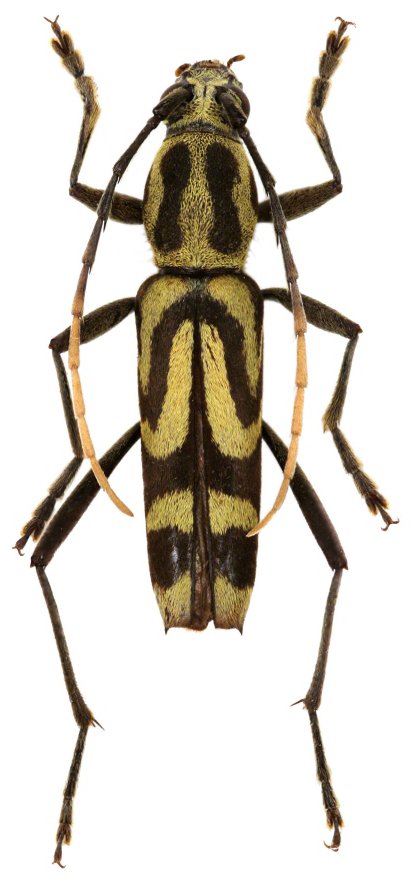
Specimen Type: paratype Institution: Viktora Collection Photographer: Petr Viktora Collection Location: Saraburi, NE Bangkok, Thailand 73872
|