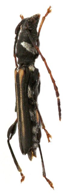
_Viktora_coll_Mt_Sanggul_W_Sumatra_Indonesia.jpg)
Specimen Type: holotype Sex: f Institution: Viktora Collection Photographer: Petr Viktora Collection Location: Mt Sanggul, W Sumatra, Indonesia 75074
|
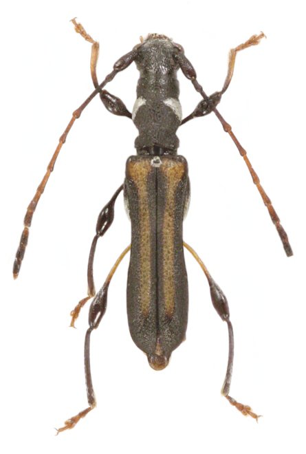
_Viktora_coll_Mt_Sanggul_W_Sumatra_Indonesia.jpg)
Specimen Type: holotype Sex: f Institution: Viktora Collection Photographer: Petr Viktora Collection Location: Mt Sanggul, W Sumatra, Indonesia 75075
|