New Search Family, Subfamily and Tribe List

SubFamily Cerambycinae

Tribe Cleomenini
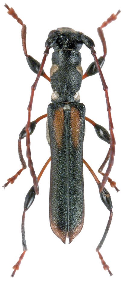
Nidella opacula Holzschuh 2019

Specimen Type: holotype
Sex: m
Institution: Holszchuh Collection
Photographer: Luboš Dembický
Collection Location: Kuamut, Sabah, Borneo
70799

130425