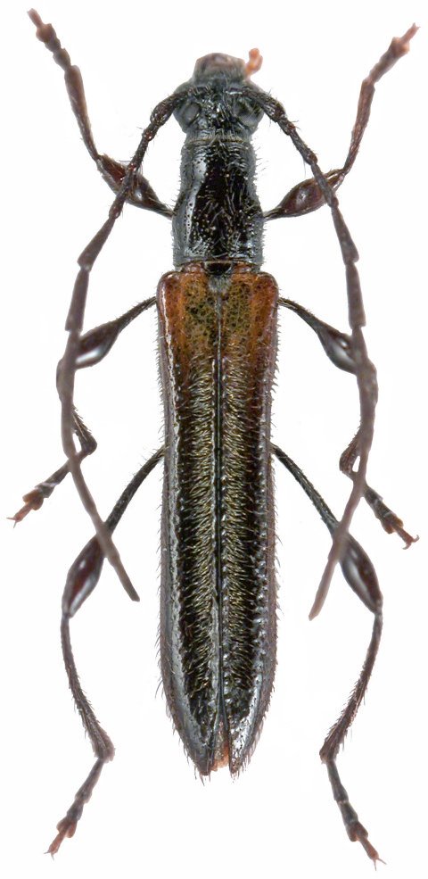
_Holzschuh_Coll_Kuamut_Sabah_Borneo_LD.jpg)
Specimen Type: holotype Sex: m Institution: Holszchuh Collection Photographer: Lubo Dembický Collection Location: Kuamut, Sabah, Borneo 70797
|
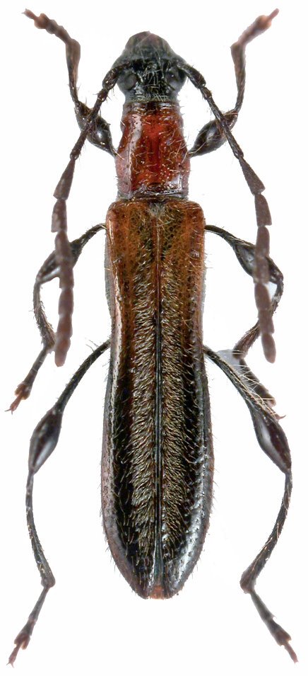
_Holzschuh_Coll_Kuamut_Sabah_Borneo_LD.jpg)
Specimen Type: paratype Sex: f Institution: Holszchuh Collection Photographer: Lubo Dembický Collection Location: Kuamut, Sabah, Borneo 70798
|