New Search Family, Subfamily and Tribe List

SubFamily Cerambycinae

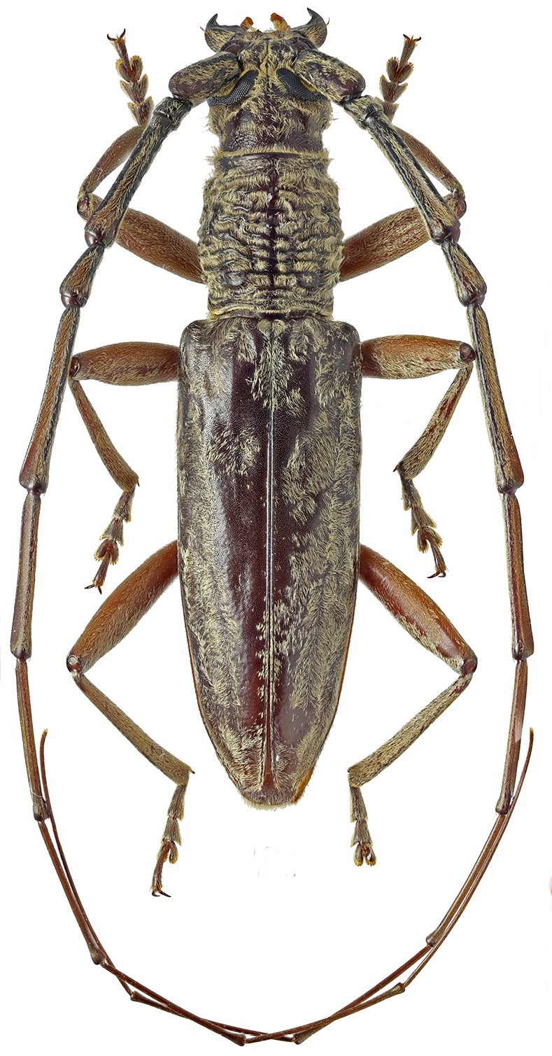
Tribe Cerambycini
Pachydissus borneoensis Miroshnikov 2018

Specimen Type: holotype
Sex: m
Institution: ZMUC University of Copenhagen, Zoological Museum, København, Denmark
Photographer: Miroshnikov
Collection Location: Crocker Range, Sabah, Borneo
70787

130425