New Search Family, Subfamily and Tribe List

SubFamily Cerambycinae

Tribe Cerambycini
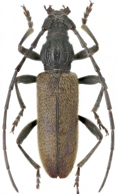
Plavichydissus makarovi Miroshnikov 2018

Specimen Type: holotype
Sex: m
Institution: NHMD Natural History Museum of Denmark, Copenhagen, Denmark
Photographer: Alexandr Miroshnikov
Collection Location: Erawan National Park, River Kwae, Thailand
90977

130425