New Search Family, Subfamily and Tribe List

SubFamily Cerambycinae

Tribe Callidiopini
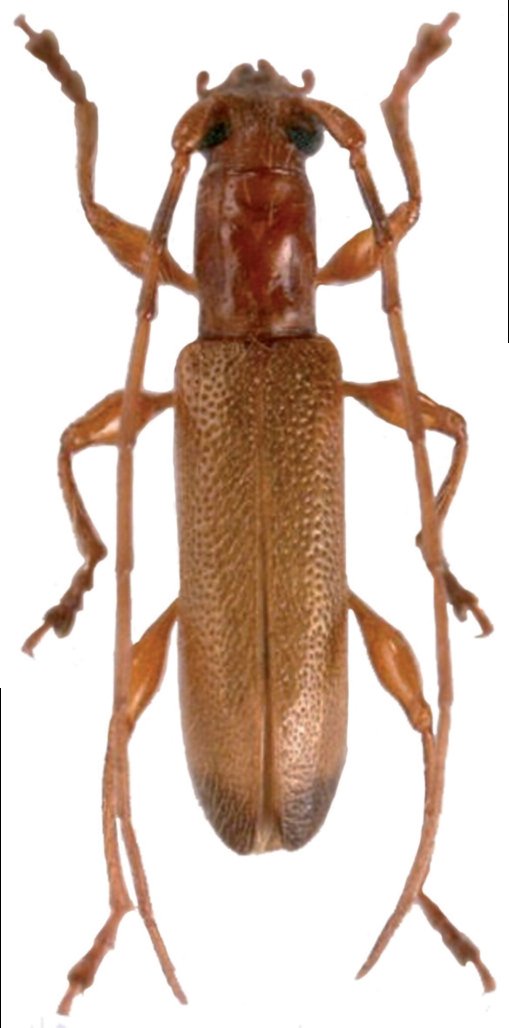
Stenodryas consentanea Holzschuh 2019

Specimen Type: holotype
Sex: m
Institution: Holszchuh Collection
Photographer: Luboš Dembický
Collection Location: Bandukan, Bunsit, Kenigau, Sabah, Borneo
70801

130425