_Gressitt_Micronesia_USNM.jpg)
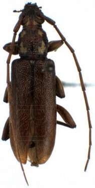
Ceresium guttaticolle yapense Gressitt Specimen Type: holotype Sex: f Institution: NMNH United States National Museum, Washington, DC, USA Photographer: Steve Lingafelter Collection Location: Dugor, Yap (Wa'ab) Island (western Caroline Islands), Micronesia 34572
|
_CAS.jpg)
Ceresium guttaticolle yapense Gressitt Specimen Type: paratype Institution: CAS California Academy of Sciences, San Francisco, CA, USA Photographer: Larry G. Bezark 34573
|

Institution: TARI Taiwan Agriculture Research Institute, Taichung Collection Location: Yap Island 39782
|
_Gressitt_Yap_TARI.jpg)
Institution: TARI Taiwan Agriculture Research Institute, Taichung Collection Location: Yap Island 39783
|
_Gressitt_Yap_TARI.jpg)
Institution: TARI Taiwan Agriculture Research Institute, Taichung Collection Location: Yap Island 39784
|
_Gressitt_Yap_TARI.jpg)
Institution: TARI Taiwan Agriculture Research Institute, Taichung Collection Location: Yap Island 39785
|
_Gressitt_Yap_TARI.jpg)
Institution: TARI Taiwan Agriculture Research Institute, Taichung Collection Location: Yap Island 39786
|