New Search Family, Subfamily and Tribe List

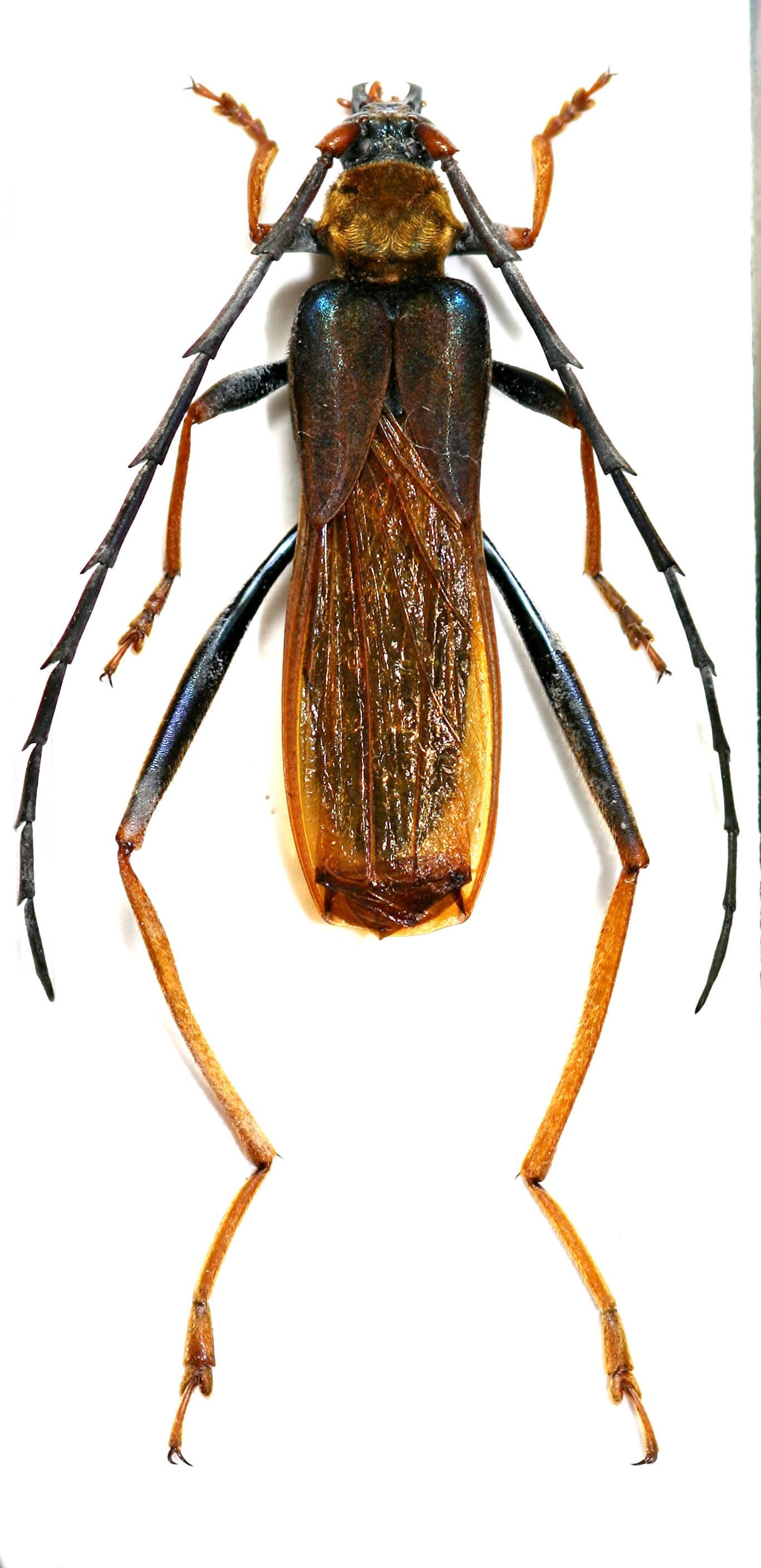
SubFamily Cerambycinae

Tribe Callichromatini
Scalenus kalimantanensis Bentanachs & Jiroux 2018

Photographer: Francesco Ruggiero
Collection Location: Mt. Bawang, W. Kalimantan, Borneo
96319

130425