_Vikt_Liu_BITS_Mt_Laojunshan_Yueliangping_Jianchuan_Co_Yangcen_Towns_Yunnan.jpg)
Specimen Type: holotype Sex: m Institution: BITS Bin Insect Taxonomy Studio, Beijing, China Photographer: Petr Viktora Collection Location: Mt Laojunshan, Yueliangping, Jianchuan Co, Yangcen Towns_Yunnan, China 70194
|
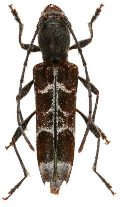
_Vikt_Liu_BITS_Mt_Laojunshan_Yueliangping_Jianchuan_Co_Yangcen_Towns_Yunnan.jpg)
Specimen Type: paratype Sex: f Institution: BITS Bin Insect Taxonomy Studio, Beijing, China Photographer: Petr Viktora Collection Location: Mt Laojunshan, Yueliangping, Jianchuan Co, Yangcen Towns_Yunnan, China 70195
|