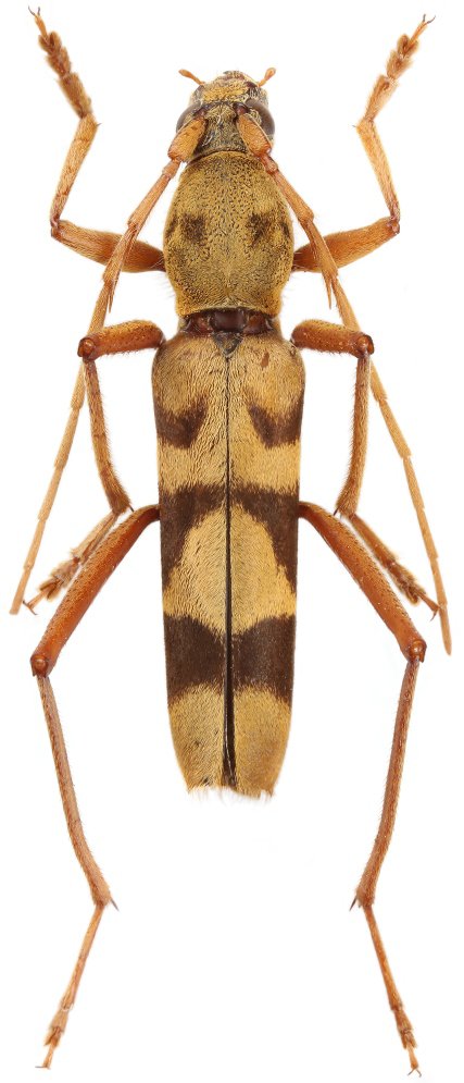
_Viktora_coll_Tapaya_Village_Seribu_Mtns_Obi_Island_Moluccas_Indonesia.jpg)
Specimen Type: holotype Sex: m Institution: Viktora Collection Photographer: Petr Viktora Collection Location: Tapaya Village, Seribu Mtns, Obi Island, Molucca Islands, Indonesia 70212
|
_Viktora_coll_Tapaya_Village_Seribu_Mtns_Obi_Island_Moluccas_Indonesia.jpg)
Specimen Type: paratype Sex: m Institution: Viktora Collection Photographer: Petr Viktora Collection Location: Tapaya Village, Seribu Mtns, Obi Island, Molucca Islands, Indonesia 70213
|