_Viktora_coll_Raka_Forest_Desa_Raenalulu_Savu_Island_Indonesia.jpg)
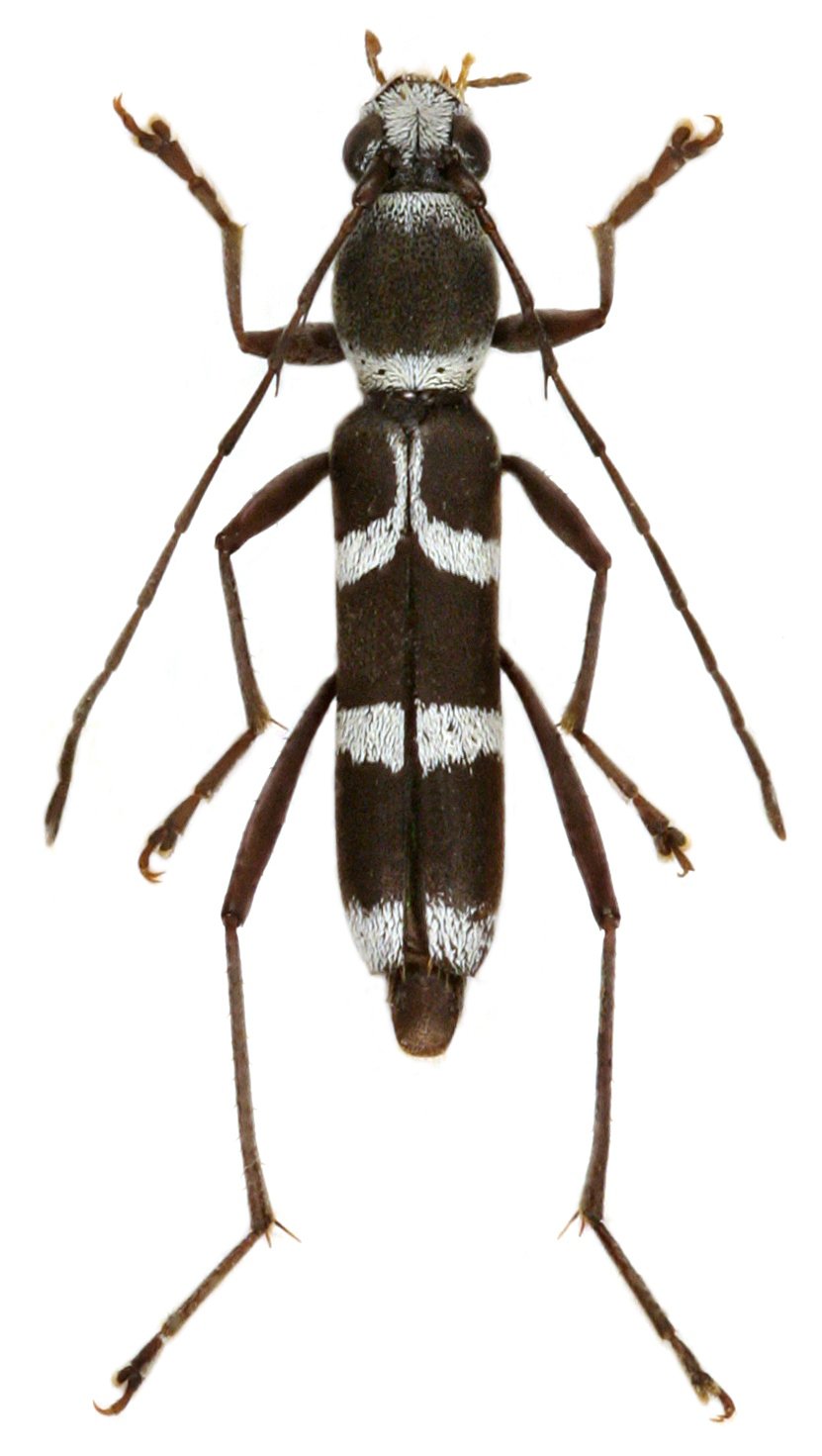
Specimen Type: holotype Sex: m Institution: Viktora Collection Photographer: Petr Viktora Collection Location: Raka Forest, Desa Raenalulu, Savu Island, Indonesia 70209
|
_Viktora_coll_Raka_Forest_Desa_Raenalulu_Savu_Island_Indonesia.jpg)
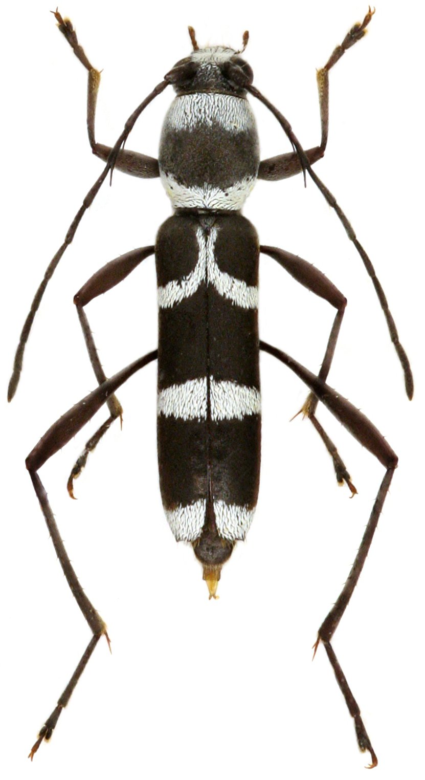
Specimen Type: holotype Sex: m Institution: Viktora Collection Photographer: Petr Viktora Collection Location: Raka Forest, Desa Raenalulu, Savu Island, Indonesia 70210
|
_Viktora_coll_Raka_Forest_Desa_Raenalulu_Savu_Island_Indonesia.jpg)
Specimen Type: paratype Sex: f Institution: Viktora Collection Photographer: Petr Viktora Collection Location: Raka Forest, Desa Raenalulu, Savu Island, Indonesia 70211
|
|