_Viktora_coll_50km_S_Kuopang_W_Timor_Indonesia.jpg)
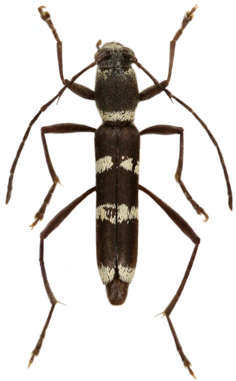
Specimen Type: holotype Sex: m Institution: Viktora Collection Photographer: Petr Viktora Collection Location: 50 km S Kuopang, West Timor, Indonesia 70207
|
_Viktora_coll_50km_S_Kuopang_W_Timor_Indonesia.jpg)
Specimen Type: holotype Sex: m Institution: Viktora Collection Photographer: Petr Viktora Collection Location: 50 km S Kuopang, West Timor, Indonesia 70208
|