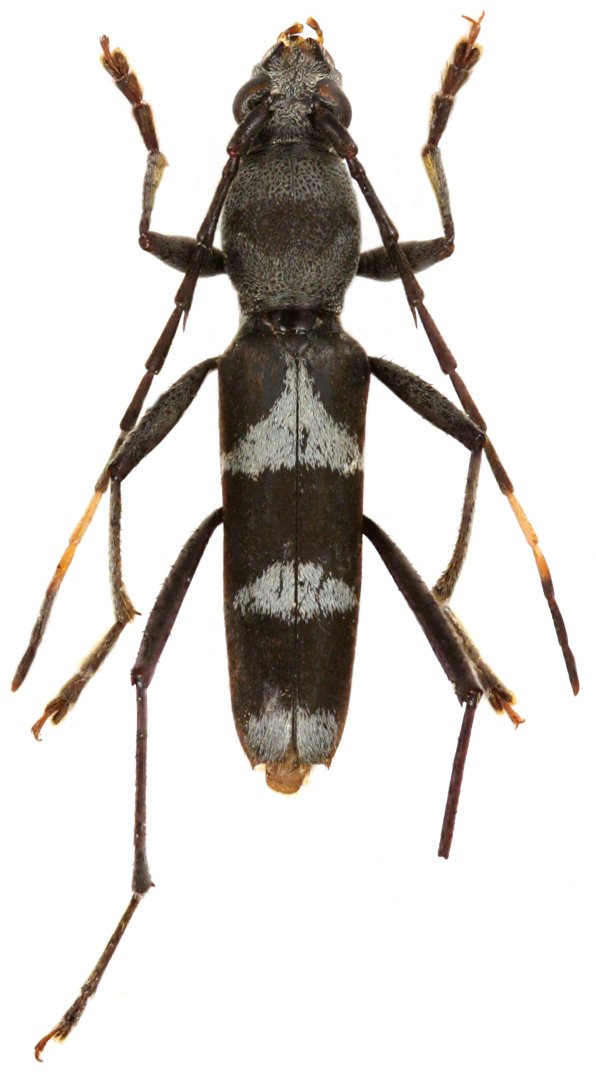
_Viktora_coll_E_Sumba_Island_Indonesia.jpg)
Specimen Type: holotype Sex: m Institution: Viktora Collection Photographer: Petr Viktora Collection Location: E Sumba Island, Indonesia 70204
|
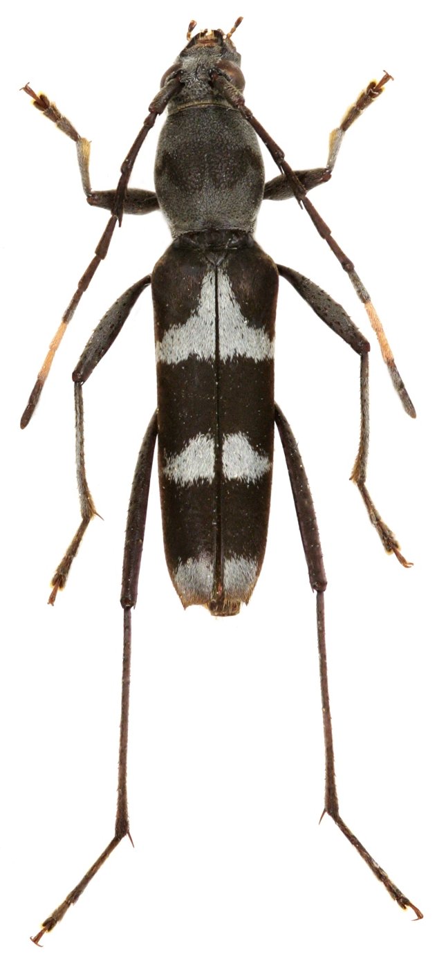
_Viktora_coll_E_Sumba_Island_Indonesia.jpg)
Specimen Type: holotype Sex: m Institution: Viktora Collection Photographer: Petr Viktora Collection Location: E Sumba Island, Indonesia 70205
|