_Viktora_coll_Flores_Island_Indonesia.jpg)
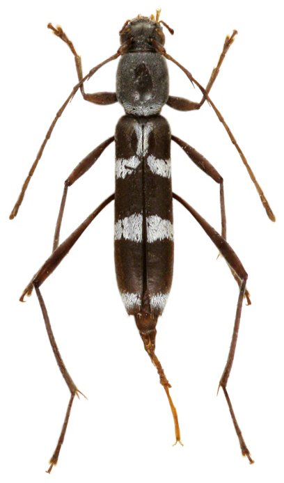
Specimen Type: holotype Sex: f Institution: Viktora Collection Photographer: Petr Viktora Collection Location: Flores Island, Indonesia 70202
|
_Viktora_coll_Flores_Island_Indonesia.jpg)
Specimen Type: holotype Sex: f Institution: Viktora Collection Photographer: Petr Viktora Collection Location: Flores Island, Indonesia 70203
|