New Search Family, Subfamily and Tribe List

SubFamily Cerambycinae

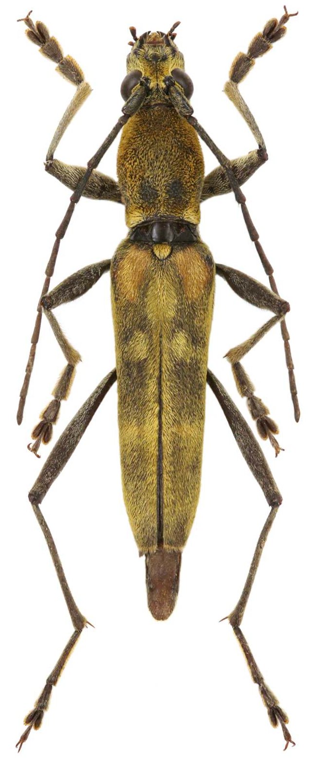
Tribe Clytini
Rhaphuma persona Viktora 2017

Specimen Type: holotype
Sex: m
Institution: Viktora Collection
Photographer: Petr Viktora
Collection Location: Ban Saluei, Mt Phu Pan, Hua Phan, Laos
70218

130425