_Vikt_Tichy_coll_Ngoc_Linh_Kon_Tum_Prov_Vietnam_now_Petraphuma.jpg)
Rhaphuma allegoria Viktora & Tichy Specimen Type: holotype Sex: m Institution: Tichy Collection Photographer: Petr Viktora Collection Location: Ngoc Linh, Kon Tum Province, Vietnam 70158
|
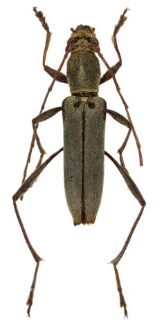
_Vikt_coll_Tichy_Ngoc_Linh_Kon_Tum_Prov_Vietnam_now_Petraphuma.jpg)
Rhaphuma allegoria Viktora & Tichy Specimen Type: paratype Sex: f Institution: Viktora Collection Photographer: Petr Viktora Collection Location: Ngoc Linh, Kon Tum Province, Vietnam 70159
|