_Vikt_Liu_BITS_Bapo_Vill_Mt_Gaoligongshan_Yunnan_China.jpg)
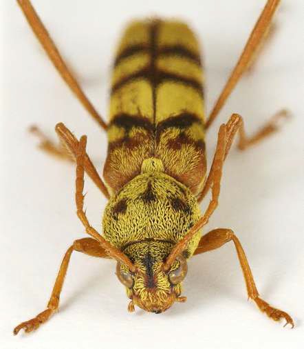
Specimen Type: holotype Sex: m Institution: BITS Bin Insect Taxonomy Studio, Beijing, China Photographer: Petr Viktora Collection Location: Bapo Village, Mt Gaoligongshan, Yunnan, China 70146
|
_Vikt_Liu_BITS_Bapo_Vill_Mt_Gaoligongshan_Yunnan_China.jpg)
Specimen Type: holotype Sex: m Institution: BITS Bin Insect Taxonomy Studio, Beijing, China Photographer: Petr Viktora Collection Location: Bapo Village, Mt Gaoligongshan, Yunnan, China 70147
|