_Vikt_Tichy_Mt_Dayaoshan_Jinxiu_Guangxi_China.jpg)
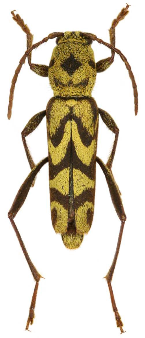
Specimen Type: holotype Sex: m Institution: Viktora Collection Photographer: Petr Viktora Collection Location: Mt Dayaoshan, Jinxiu, Guangxi, China 70154
|
_Vikt_Tichy_Mt_Dayaoshan_Jinxiu_Guangxi_China.jpg)
Specimen Type: holotype Sex: m Institution: Viktora Collection Photographer: Petr Viktora Collection Location: Mt Dayaoshan, Jinxiu, Guangxi, China 70155
|