_Vikt_Liu_BITS_Xiongdang_Vill_Mt_Gaoligongshan_Yunnan_China.jpg)
Specimen Type: holotype Sex: m Institution: BITS Bin Insect Taxonomy Studio, Beijing, China Photographer: Petr Viktora Collection Location: Xiongdang Village, Mt Gaoligongshan, Yunnan, China 70144
|
_Vikt_Liu_BITS_Xiongdang_Vill_Mt_Gaoligongshan_Yunnan_China.jpg)
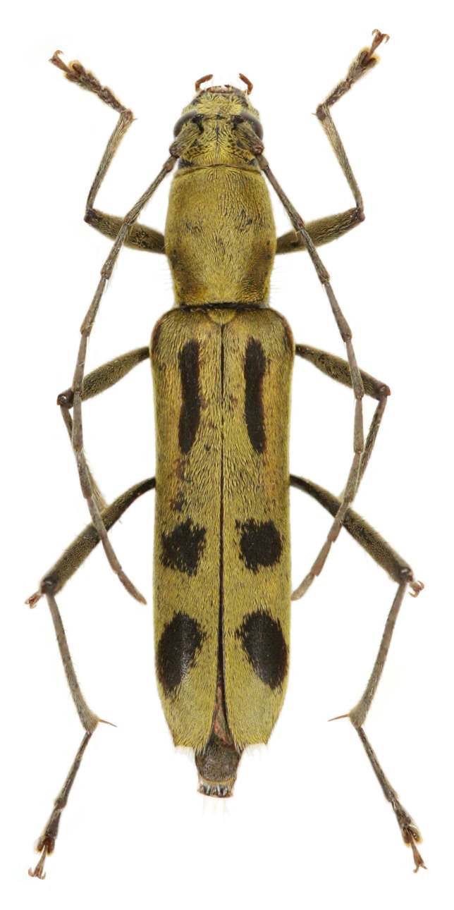
Specimen Type: paratype Sex: f Institution: BITS Bin Insect Taxonomy Studio, Beijing, China Photographer: Petr Viktora Collection Location: Xiongdang Village, Mt Gaoligongshan, Yunnan, China 70145
|