_Vikt_Liu_BITS_Mt_Jiangfengling_Hainan_Isl_China.jpg)
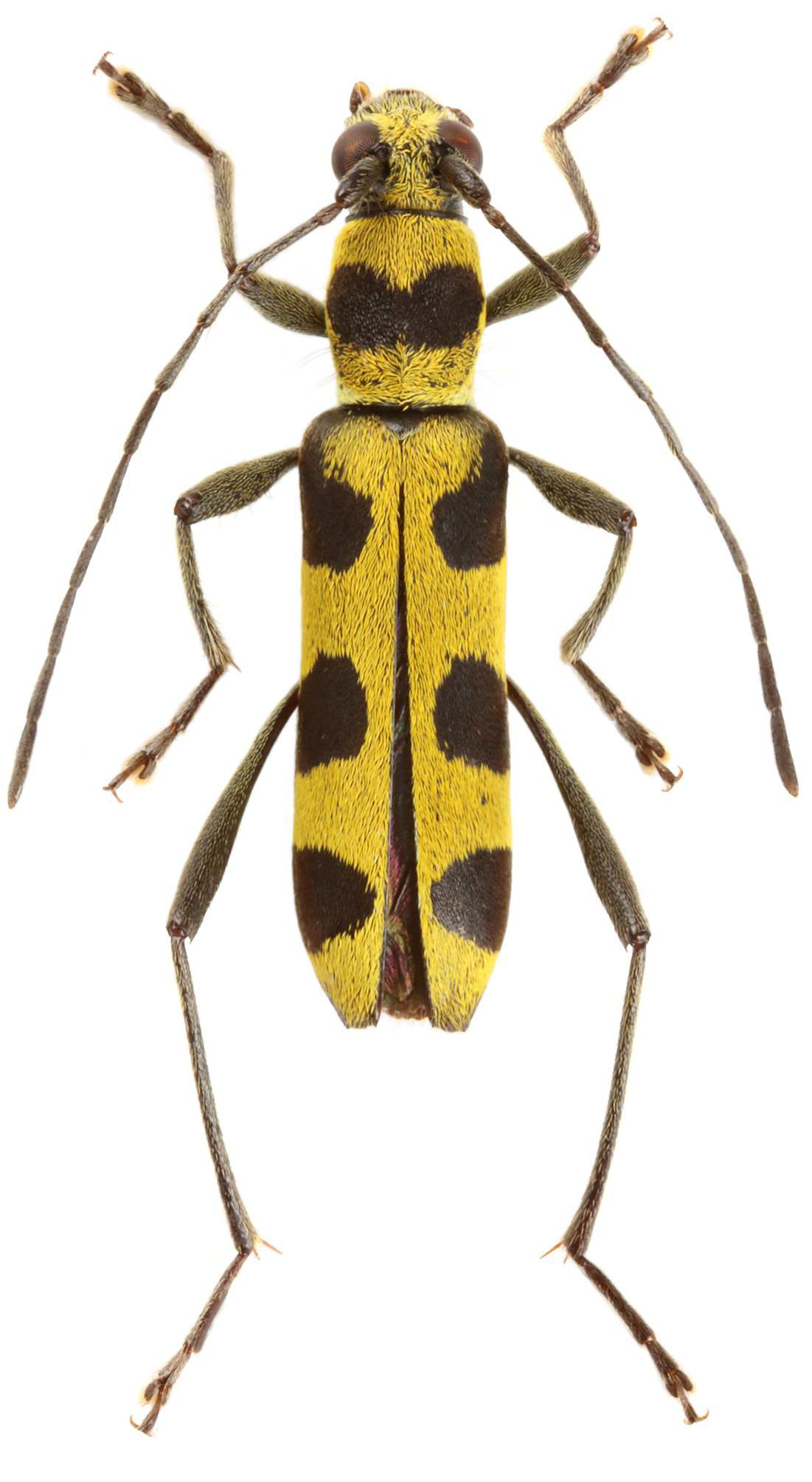
Specimen Type: holotype Sex: m Institution: BITS Bin Insect Taxonomy Studio, Beijing, China Photographer: Petr Viktora Collection Location: Mt Jiangfengling, Hainan Island, China 70142
|
_Vikt_Liu_BITS_Mt_Jiangfengling_Hainan_Isl_China.jpg)
Specimen Type: paratype Sex: f Institution: BITS Bin Insect Taxonomy Studio, Beijing, China Photographer: Petr Viktora Collection Location: Mt Jiangfengling, Hainan Island, China 70143
|