_Vikt_Liu_BITS_Daliusha_Chayu_County_Xizang_China.jpg)
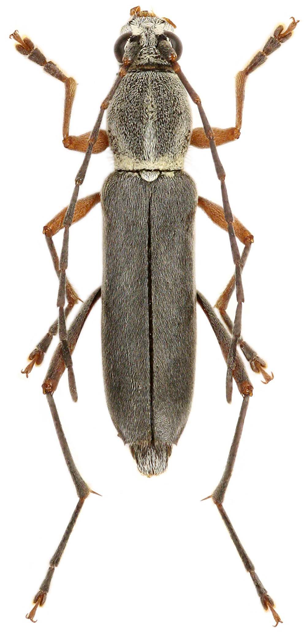
Specimen Type: holotype Sex: m Institution: BITS Bin Insect Taxonomy Studio, Beijing, China Photographer: Petr Viktora Collection Location: Daliusha, Chayu County, Xizang, China 70140
|
_Vikt_Liu_BITS_Daliusha_Chayu_County_Xizang_China.jpg)
Specimen Type: paratype Sex: f Institution: BITS Bin Insect Taxonomy Studio, Beijing, China Photographer: Petr Viktora Collection Location: Daliusha, Chayu County, Xizang, China 70141
|