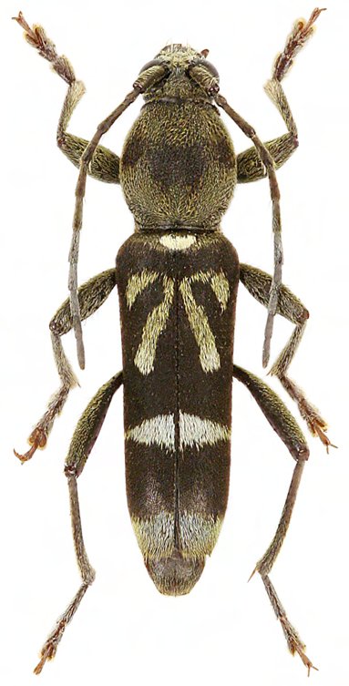
_Viktora_coll_Roxas_Palawan_Philippines.jpg)
Specimen Type: holotype Sex: m Institution: Viktora Collection Photographer: Petr Viktora Collection Location: Roxas, Palawan Island, Philippines 70008
|
_Viktora_coll_Roxas_Palawan_Philippines.jpg)
Specimen Type: paratype Sex: f Institution: Viktora Collection Photographer: Petr Viktora Collection Location: Roxas, Palawan Island, Philippines 70009
|