New Search Family, Subfamily and Tribe List

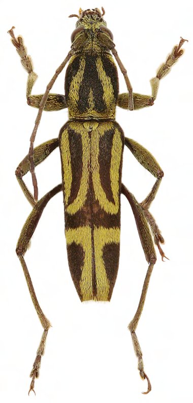
SubFamily Cerambycinae

Tribe Clytini
Chlorophorus ringleticus Viktora 2019

Specimen Type: holotype
Sex: m
Institution: Viktora Collection
Photographer: Petr Viktora
Collection Location: Ringlet, Cameron Highlands, Pahang, Malaysia
70007

130425