New Search Family, Subfamily and Tribe List

SubFamily Cerambycinae

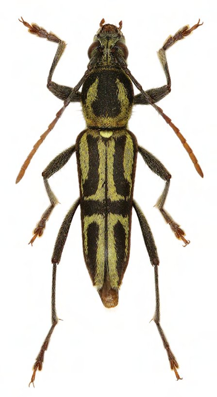
Tribe Clytini
Chlorophorus latens Viktora 2019

Specimen Type: holotype
Sex: m
Institution: Viktora Collection
Photographer: Petr Viktora
Collection Location: Landai Village, Mt Sanggul, W Sumatra, Malaysia
70004

130425