_Viktora_coll_Chauvay_Kyrgyzstan.jpg)
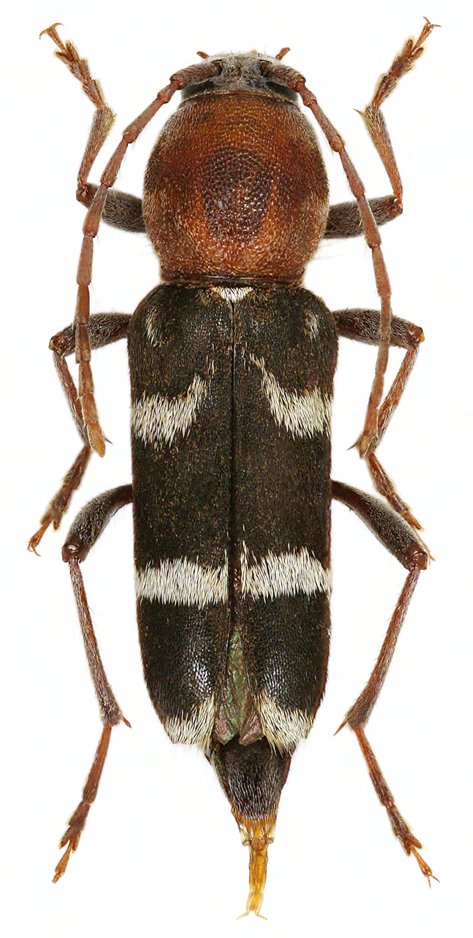
Specimen Type: holotype Sex: f Institution: Viktora Collection Photographer: Petr Viktora Collection Location: Chauvay, Kyrgyzstan 70002
|
_Viktora_coll_Chauvay_Kyrgyzstan.jpg)
Specimen Type: holotype Sex: f Institution: Viktora Collection Photographer: Petr Viktora Collection Location: Chauvay, Kyrgyzstan 70003
|