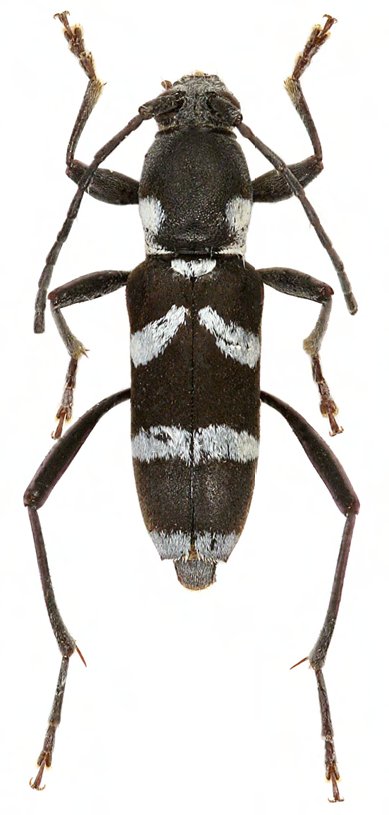
_Viktora_Tichy_coll_Sierra_Madre_Nangtipunan_Luzon_Philippines.jpg)
Specimen Type: holotype Sex: m Institution: Tichy Collection Photographer: Petr Viktora Collection Location: Sierra Madre, Nangtipunan, Luzon Island, Philippines 69996
|
_Viktora_Tichy_coll_Sierra_Madre_Nangtipunan_Luzon_Philippines.jpg)
Specimen Type: paratype Sex: f Institution: Tichy Collection Photographer: Petr Viktora Collection Location: Sierra Madre, Nangtipunan, Luzon Island, Philippines 69997
|